direct naar inhoud van Toelichting
Plan: Gemert-Bakel Buitengebied herziening december 2021
Status: ontwerp
Plantype: bestemmingsplan
IMRO-idn: NL.IMRO.1652.Buitengebied122021-ON01

Toelichting

Hoofdstuk 1 Achtergrond en opzet

1.1 Aanleiding

Sinds het verschijnen van het integrale bestemmingsplan "Gemert-Bakel Buitengebied 2017", hebben in ons buitengebied al weer planologische ontwikkelingen plaatsgevonden. Na de integrale herziening op dit bestemmingsplan, behoeft het plan wederom een herziening vanwege ontwikkelingen die niet rechtstreeks mogelijk zijn in het bestemmingsplan. Dit bestemmingsplan voorziet in deze ontwikkelingen.Het beleid en de planregels uit het 'moederplan' voor het buitengebied vormen het uitgangspunt bij de ontwikkelingen.

In dit bestemmingsplan gaat het om de volgende locaties:

  • 1. Berken/Fransenhof, Milheeze

Herontwikkeling van de locatie van een voormalig intensief veehouderijbedrijf voor woondoeleinden, waarbij de boerderij Berken 9 wordt herbouwd ten behoeve van gebruik als burgerwoning, de stallen worden gesloopt en drie Ruimte-voor-Ruimte woningen worden gebouwd; één woning ten westen van de te herbouwen boerderij en twee woningen aan de Fransenhof.

  • 2. De Wind 7, Gemert

Beëindiging van de varkenshouderijtak inclusief sloop van de aanwezige stallen, voorzetting van de akkerbouwtak en de bouw van drie Ruimte-voor-Ruimte woningen op het vrijkomende deel van het agrarische bedrijfsperceel.

  • 3. Esdonk 45, Gemert

Beëindigen van de varkenshouderijtak ten behoeve van de bouw van twee Ruimte-voor-Ruimte woningen. De akkerbouwtak blijft tijdelijk gehandhaafd (voorlopige bestemming), maar wordt na 5 jaar beëindigd, waarna de boerderij enkel nog als burgerwoning gebruikt mag worden.

  • 4. EVZ Esperloop Geneneind-Neerstraat, Bakel

Realisering van de Ecologische Verbindingszone (EVZ) rond de benedenloop van de Esperloop ter hoogte van Geneneind en neerstraat. In het kader van de realisatie van de EVZ wordt tevens een bestaande houtwal, gelegen ter hoogte van de Neerstraat 10 in Bakel, gekapt en herplant binnen de EVZ.

  • 5. Heidveld 4, Bakel

Beëindiging van de varkenshouderij en omzetting in woondoeleinden, voor burgerbewoning van de voormalige bedrijfswoning. Op de achterliggende gronden blijft het gebruik voor tractorpulling mogelijk, ten behoeve waarvan ook een bestaand gebouw bij de woning blijft behouden.

  • 6. Kattevlaas 4, Milheeze

Uitoefening van een zorgboerderij als nevenactiviteit bij een bestaand agrarisch bedrijf, in een nieuw bij het agrarisch bedrijf op te richten gebouw.

  • 7. Kuundertseheide 1, Bakel

Beëindiging van de varkenshouderijtak inclusief sloop van de aanwezige stallen, voortzetting van de akkerbouwtak inclusief uitbreiding van de bestaande loodsen en de ontwikkeling van een niet-agrarische nevenactiviteit in de vorm van een werkplaats voor de reparatie en ontwikkeling van machines.

Daarnaast moet het bestemmingsplan op één locatie hersteld worden:

  • 8. Weijer 2, Milheeze

Het 'wehrmachtshuisje' gelegen aan Weijer 2 is aangewezen als gemeentelijk monument, in vervolg hierop moet in het bestemmingsplan voor deze locatie de specifieke bouwaanduiding 'gemeentelijk monument' opgenomen worden.

1.2 Planopzet

In het volgende hoofdstuk (2) is in het kort algemeen beleid verwoord dat voor alle plannen geldend is. Hierbij dient gedacht te worden aan het algemene rijksbeleid en provinciaal beleid. In een separate bijlage is dit beleid nader uitgewerkt. Specifieke aspecten van dit beleid worden bij het project zelf benoemd.

Voor de planontwikkelingen is in hoofdstuk 3 een korte toelichting opgenomen. De situatie wordt kort omschreven en aangegeven wordt wat de plannen zijn. De uitgebreide ruimtelijke onderbouwing, eventueel bijbehorende adviezen, (aanvullende) onderzoeken etc. zijn separaat als bijlagen bij dit bestemmingsplan gevoegd. Deze documenten zijn onlosmakelijk verbonden met onderliggend bestemmingsplan. Uit deze documenten blijkt dat de plannen voldoen aan een goede ruimtelijke ordening. In deze documenten wordt ook het beleid uitvoeriger, in relatie tot de plannen, besproken.

Hoofdstuk 4 van deze toelichting gaat in op de algemene haalbaarheid van dit bestemmingsplan.

In hoofdstuk 5 is ten slotte ruimte opgenomen voor het vooroverleg; de resultaten en verwerking van zienswijzen; en eventuele ambtshalve aanpassingen.

Hoofdstuk 2 Beleid

Bij het opstellen van het bestemmingsplan moet worden voldaan aan de van toepassing zijnde wet- en regelgeving op Rijks-, provinciaal en gemeentelijk niveau. In dit hoofdstuk worden de van toepassing zijnde beleidsstukken benoemd en wordt een samenvatting gegeven van de belangrijkste beleidskaders. Een uitgebreide beschrijving van deze en overige beleidsstukken is opgenomen in bijlage 1.

2.1 Rijksbeleid

2.1.1 Nationale Omgevingsvisie

Met de Nationale Omgevingsvisie (NOVI) geeft het Rijk richting aan de grote opgaven die de inrichting van Nederland de komende dertig jaar ingrijpend zullen veranderen. Denk aan het bouwen van ongeveer 1 miljoen nieuwe woningen, ruimte voor opwekking van duurzame energie, aanpassing aan een veranderend klimaat, ontwikkeling van een circulaire economie en omschakeling naar kringlooplandbouw. Alles met zorg voor een gezonde bodem, schoon water, behoud van biodiversiteit en een aantrekkelijke leefomgeving.
De NOVI richt zich op die ontwikkelingen waarin meerdere nationale belangen bij elkaar komen en keuzes in samenhang moeten worden gemaakt tussen die nationale belangen, zoals:

  • bevorderen van een duurzame ontwikkeling van Nederland als geheel en van alle onderdelen van de fysieke leefomgeving
  • realiseren van een goede leefomgevingskwaliteit
  • waarborgen en bevorderen van een gezonde en veilige fysieke leefomgeving
  • zorgdragen voor een woningvoorraad die aansluit op de woonbehoeften
  • beperken van klimaatverandering
  • realiseren van een betrouwbare, betaalbare en veilige energievoorziening
  • waarborgen van de waterveiligheid en de klimaatbestendigheid
  • waarborgen en versterken van een aantrekkelijk ruimtelijk-economisch vestigingsklimaat
  • ontwikkelen van een duurzame voedsel- en agroproductie
  • behouden en versterken van cultureel erfgoed en landschappelijke en natuurlijke kwaliteiten van (inter)nationaal belang
  • verbeteren en beschermen van natuur en biodiversiteit

De NOVI biedt een duurzaam perspectief voor de leefomgeving. Hiermee wordt ingespeeld op de grote uitdagingen in de komende jaren. Allerlei trends en ontwikkelingen hebben invloed op de leefomgeving. Veranderende en groeiende steden, de overgang naar een duurzame en circulaire economie en het aanpassen aan de gevolgen van de klimaatverandering vormen slechts een deel van de opgave. Dit biedt kansen, maar vraagt wel om zorgvuldige keuzes, want de ruimte, zowel boven-, als ondergronds, is een schaars goed. Het combineren van al die opgaven vraagt een nieuwe manier van werken: niet van bovenaf opgelegd, maar in goede samenwerking tussen overheden, bedrijven, kennisinstellingen, maatschappelijke organisaties en burgers. De NOVI biedt een kader, geeft richting en maakt keuzes waar dat kan. Tegelijkertijd is er ruimte voor regionaal maatwerk en gebiedsgerichte uitwerking. Omdat de verantwoordelijkheid voor het omgevingsbeleid voor een groot deel bij provincies, gemeenten en waterschappen ligt, kunnen inhoudelijke keuzes in veel gevallen het beste regionaal worden gemaakt.

Aan de hand van een toekomstperspectief op 2050 brengt de NOVI de langetermijnvisie in beeld. Op nationale belangen wil het Rijk sturen en richting geven. Die komen samen in vier prioriteiten:

  • 1. Ruimte voor klimaatadaptatie en energietransitie
  • 2. Duurzaam economisch groeipotentieel
  • 3. Sterke en gezonde steden en regio's
  • 4. Toekomstbestendige ontwikkeling van het landelijk gebied

De NOVI dient op regionaal niveau uitgewerkt te worden, zodat een gebiedsgerichte aanpak en maatwerk mogelijk is. Deze uitwerking heeft nog niet plaatsgevonden. Deze ontbrekende regionale uitwerking samen met het hoge schaalniveau van de NOVI maken dat concrete aanwijzingen voor de diverse planonderdelen van deze bestemmingsplanherziening ontbreken.


Tevens zijn op rijksniveau de volgende wettelijke- en beleidskaders van belang voor dit bestemmingsplan:

  • Barro/AMvB Ruimte:

de nationale belangen uit SVIR die juridische borging vragen, zijn uitgewerkt in het Besluit algemene regels ruimtelijke ordening (Barro). Het Barro is ook wel bekend als de AMvB Ruimte. Het Besluit geeft de juridische kaders die nodig zijn om het vigerend ruimtelijk rijksbeleid te borgen. De Regeling algemene regels ruimtelijke ordening (Rarro) is gebaseerd op het Barro;

  • Bro (ladder voor duurzame verstedelijking):

Het Besluit ruimtelijke ordening (Bro) bevat de uitwerking van bepalingen uit de Wet ruimtelijke ordening (Wro). Op 1 oktober 2012 is het Besluit ruimtelijke ordening (Bro) gewijzigd en is ‘de ladder voor duurzame verstedelijking’ daaraan toegevoegd. Doel van de ladder voor duurzame verstedelijking is een goede ruimtelijke ordening door een optimale benutting van de ruimte in stedelijke gebieden.

Deze beleidskaders zijn nader beschreven in bijlage 1.

2.2 Provinciaal beleid

2.2.1 Omgevingsvisie Noord-Brabant

Op 14 december 2018 heeft de provincie Noord-Brabant de Omgevingsvisie Noord-Brabant "De kwaliteit van Brabant" vastgesteld. De omgevingsvisie bevat de belangrijkste ambities voor de fysieke leefomgeving voor de komende jaren. Dat gaat om ambities op gebied van de energietransitie, een klimaatproof Brabant, Brabant als slimme netwerkstad en een concurrerende, duurzame economie. De omgevingsvisie geeft ook aan op welke nieuwe manieren de provincie met betrokkenen wil samenwerken aan omgevingsvraagstukken en welke waarden daarbij centraal staan.

Met de omgevingsvisie wil de provincie vast aansluiten bij en gaan werken volgens de uitgangspunten van de nieuwe Omgevingswet. Samen met andere overheden, initiatiefnemers en andere betrokken partijen wordt actief gezocht naar een praktijk waarin deze nieuwe manier van werken centraal staat.

De Omgevingsvisie gaat over twee vragen:

  • 1. Hoe moet de Brabantse leefomgeving er in 2050 uit zien?
  • 2. Wat moet in 2030 voor elkaar zijn om dat toekomstperspectief te verwezenlijken?

De doelstelling die Noord-Brabant heeft voor 2050 is dat zij in dat jaar welvarend, verbonden en klimaatproof is. De welvaart wil de provincie bereiken door te investeren in een gezonde en sterke concurrentiepositie door het goede vestigingsklimaat voor bedrijven en kenniswerkers, maar ook door de voortrekkersrol in de transitie naar een innovatieve en duurzame economie. De provincie ziet welvaart niet alleen als economische bestaanszekerheid, maar ook als geluk, gezondheid en veiligheid van mensen. In dat kader stelt de provincie dat in 2050 bestaande problemen in de fysieke leefomgeving zijn opgelost en dat het robuuste natuurnetwerk uitstekend functioneert.

Dankzij investeringen in natuur, verdrogingsbestrijding, bodem, waterkwaliteit, een groene (natuurrijke) inrichting van woon- en werkgebieden en het terugdringen van emissies uit landbouw en industrie wil de provincie zowel de menselijke leefomgeving als die voor flora en fauna verbeteren. Dit leidt tot een goed welbevinden en een grote soortenrijkdom.

Voor wat betreft de verbondenheid is het streven van de provincie dat Brabant de centrale ligging uitstekend weet te benutten door goede verbindingen op zowel fysiek als op sociaalmaatschappelijk (digitaal) gebied. Daarbij is een van de doelen dat de logistieke bedrijvigheid nog steeds een topsector is, maar dan op een schonere en slimmere manier.

Daarnaast bieden nog zichtbare historische waarden, erfgoed en landschappelijke verscheidenheid een verbinding met het verleden. Deze elementen dienen te blijven behouden voor een aantrekkelijke omgeving als uitloopgebied voor de inwoners van steden en dorpen en voor recreatie. Met betrekking tot het streven klimaatproof te zijn wil de provincie in 2050 geheel energieneutraal zijn. Dit willen zij bereiken door alleen nog duurzame energie te gebruiken. Daarnaast wil de provincie verdere klimaatverandering tegengaan door de uitstoot van koolstofdioxide en de uitstoot van methaan uit de landbouw fors terug te dringen. Daarnaast wil de provincie goed om kunnen gaan met de klimaatverandering en de effecten daarvan. Hierbij staat duurzaam, gezond en klimaatbestendig bouwen centraal. Daarnaast dient voldoende ruimte beschikbaar te zijn om water op te vangen en vast te houden in tijden van droogte en om wateroverlast te voorkomen.

Op basis van deze doelstellingen heeft de provincie vier hoofdopgaven geformuleerd:

  • Werken aan de Brabantse energietransitie;
  • Werken aan een klimaatproof Brabant;
  • Werken aan de slimme netwerkstad;
  • Werken aan een concurrerende, duurzame economie.

Deze opgaven worden niet los van elkaar gezien, maar zijn vanuit de basis met elkaar verbonden. Hierbij wordt gekeken vanuit een gebiedspecifieke benadering om de kansen en bedreigingen van de opgaven te benoemen en rekening te houden met de kansen vanuit andere hoofdopgaven.

2.2.2 Interim omgevingsverordening Noord-Brabant

Provinciale Staten van Noord-Brabant hebben op 25 oktober 2019 de Interim omgevingsverordening Noord-Brabant (planidn: NL.IMRO.9930.InterimOvr.va01) vastgesteld.

De Interim omgevingsverordening is een eerste stap op weg naar de definitieve omgevingsverordening. Hierin worden de bestaande verordeningen over de fysieke leefomgeving samengevoegd tot één Interim omgevingsverordening. Dit zijn de:

  • Provinciale milieuverordening, gebaseerd op artikel 1.2. Wet milieubeheer
  • Verordening natuurbescherming, gebaseerd op diverse artikelen uit de Wet natuurbescherming
  • Verordening Ontgrondingen, gebaseerd op artikel 5, tweede lid, en artikel 7, tweede lid, Ontgrondingenwet
  • Verordening ruimte, gebaseerd op artikel 4.1. Wet ruimtelijke ordening
  • Verordening water, gebaseerd op diverse artikelen in de Waterwet
  • Verordening wegen, gebaseerd op artikel 57 Wegenwet en artikel 2A Wegenverkeerswet

De Interim omgevingsverordening is beleidsneutraal van karakter. Dat betekent dat er geen nieuwe beleidswijzigingen zijn doorgevoerd, behalve als deze voortvloeien uit vastgesteld beleid, zoals de omgevingsvisie. Er heeft daarom ook geen expliciete afweging plaatsgevonden of de inzet van de verordening voor een bepaald onderwerp gecontinueerd moet worden. In beginsel zijn de huidige regels met het huidige beschermingsniveau gehandhaafd.

Deze beleidsneutrale omzetting betekent overigens niet dat er helemaal geen wijzigingen ten opzichte van de huidige verordeningen zijn verwerkt. De wijzigingen zijn in de toelichting van de verordening toegelicht. Op hoofdlijnen gaat het om:

  • een meer gebruikersvriendelijke opbouw met regels die per gebruikersgroep (burgers en bedrijven, gemeenten, waterschap) bij elkaar staan en minder losse bijlagen;
  • aanpassingen waardoor de regels straks beter passen in het systeem van de omgevingswet, bijvoorbeeld voor de grondwaterbeschermingsgebieden;
  • aanpassingen vanwege de vastgestelde omgevingsvisie, zoals de nieuwe manier van samenwerken en meer inzet op omgevingskwaliteit.

2.3 Gemeentelijk beleid

De volgende beleidskaders waren van belang bij het opstellen van het bestemmingsplan “Gemert-Bakel Buitengebied 2017”:

- Structuurvisie Gemert-Bakel 2011-2021;

- Visie Plattelandsontwikkeling Gemert – Bakel;

- Uitvoeringsprogramma 2013-2020;

- Beleidskader plattelandswoningen;

- Woonvisie 2020 - 2024;

- Watertakenplan gemeente Gemert- Bakel;

- Gemeentelijk geurbeleid;

- Gemeentelijk archeologisch beleid;

- Gemeentelijk cultuurhistorisch beleid [Oude akkers];

- Gemeentelijk VAB-beleid;

- Beleidsnota Bed & Breakfast;

- Beeldkwaliteitsplan Buitengebied Gemert-Bakel;

- Handreiking Kwaliteitsverbetering van het landschap Gemert-Bakel;

- Notitie Duurzaamheid in bestemmingsplan Buitengebied;

- Beleidsnotitie pluimvee.

Een korte beschrijving van de genoemde beleidsdocumenten en de relevantie voor en de borging daarvan in het onderliggende bestemmingsplan (moederplan) is weergegeven in bijlage 1.

Gemeentelijk watertakenplan 2019 – 2023

Het gemeentelijk waterbeleid is opgenomen in het watertakeplan 2019 – 2023 van de gemeente Gemert-Bakel d.d. 25 oktober 2018. De gemeente Gemert-Bakel hanteert bij ontwikkelingen een norm van 60 mm berging van regenwater per m2 verhard oppervlak. Deze eis geldt voor elke toename of wijziging van afvoerend verhard oppervlak, ongeacht de lozingssituatie.

Door klimaatverandering wordt het steeds belangrijker om de omgeving klimaatadaptief in te richten. Dat betekent onder meer dat we in staat moeten zijn om extreme neerslaghoeveelheden te verwerken. Het is vanuit economisch oogpunt niet haalbaar om deze doelstelling (alleen) te behalen door het ondergrondse systeem te verzwaren. De aanleg van waterberging op eigen terrein ontlast de regenwatervoorziening op openbaar terrein en levert een bijdrage aan het verminderen van wateroverlast. Daarom wordt in dit plan de aanleg van waterberging bij nieuwe ontwikkelingen voorgeschreven.

2.4 Waterschap Aa en Maas

Uitgangspunten Watertoets

In december 2004 heeft het Dagelijks Bestuur van waterschap Aa en Maas de beleidsnota 'uitgangspunten watertoets Aa en Maas’ vastgesteld. De uitgangspunten zorgen ervoor dat de ‘watersysteembelangen’ een plek hebben in het watertoetsproces. Daarnaast is er nog een aantal ‘waterschapsbelangen’ die vanwege de directe ruimteclaims ook een plek in de ruimtelijke ordening moet krijgen. Daarmee wordt gekomen tot de volgende lijst van onderwerpen die uitgewerkt worden in het watertoetsproces:

  • Wateroverlastvrij bestemmen;
  • Hydrologisch neutraal ontwikkelen;
  • Voorkomen van vervuiling;
  • Gescheiden houden van schoon en vuil water;
  • Doorlopen van de afwegingsstappen ‘hergebruik-infiltratie-buffering-afvoer’;
  • Meervoudig ruimtegebruik;
  • Water als kans;
  • Waterschapsbelangen:
    • 1. Ruimteclaims voor waterberging;
    • 2. Ruimteclaims voor de aanleg van natte EVZ’s en beekherstel;
    • 3. Aanwezigheid en ligging watersysteem;
    • 4. Aanwezigheid en ligging waterkeringen;
    • 5. Aanwezigheid en ligging van infrastructuur en ruimteclaims t.b.v. de afvalwaterketen in beheer van het waterschap.

Beleid waterschap Aa en Maas

Het beleid van waterschap Aa en Maas is er op gericht om bij nieuwbouw geen vermenging te laten optreden van schoon en vuil water en hanteert zij de stappen hergebruik - infiltratie - bufferen - afvoer als zijnde gewenst.

Beleidsuitgangspunten:

  • Wateroverlastvrij bestemmen: bij de locatiekeuze voor een nieuwe ruimtelijke ontwikkeling dient rekening te worden gehouden met een plek die ‘hoog en droog genoeg is’;
  • Gescheiden houden van vuil water en schoon regenwater: het streefbeeld is het afvoeren van het vuile water via de riolering en het binnen het plangebied verwerken van het schone regenwater;
  • Doorlopen van de afwegingsstappen “hergebruik – infiltratie – buffering – afvoer”: het beleid van het waterschap is dat altijd onderzocht dient te worden hoe het meest efficiënt / volgens deze methode omgegaan kan worden met het schone hemelwater;
  • Hydrologisch neutraal bouwen: bij nieuwe ontwikkelingen dient te worden voldaan aan het principe van hydrologisch neutraal bouwen, waarbij de nieuwe hydrologische situatie minimaal gelijk moet blijven aan de uitgangssituatie;
  • Water als kans: water kan een meerwaarde bieden aan het plan, bijvoorbeeld door gebruik te maken van de belevingswaarde van water;
  • Meervoudig ruimtegebruik: in de plannen moet ruimte worden vrijgemaakt voor water. Door bij de inrichting van een plangebied de ruimte voor meerdere doeleinden te gebruiken, is het verlies van ruimte aan water te beperken;
  • Voorkomen van verontreiniging: het streven van het waterschap is om nieuwe (bronnen van) verontreiniging zoveel mogelijk te voorkomen.

Waterbeheerplan 2016-2021 Waterschap Aa en Maas

In het Waterbeheerplan 2016 – 2021 is de strategie voor de genoemde periode vastgelegd. Er wordt voor gekozen om de lijn uit het WBP 2010 – 2015 door te zetten met nieuwe accenten.

De doelen op hoofdlijnen voor 2016-2021 zijn:

  • 1. Via optimaal beheer en onderhoud de huidige dienstverlening in stand houden;
  • 2. Veilig en Bewoonbaar beheergebied;
  • 3. Voldoende water en robuust watersysteem;
  • 4. Schoon water;
  • 5. Gezond en natuurlijk water.

Naast de directe bijdrage aan een duurzame leefomgeving met de aanwezigheid van een goed functionerend watersysteem, draagt het waterschap via water ook bij aan bredere maatschappelijke thema’s:

  • Water in bebouwd gebied
  • Kennisontwikkeling en innovatie
  • Energiegebruik en grondstofvoorziening
  • Internationale samenwerking
  • Water en ruimte

Keur Waterschap Aa en Maas

Op 3 maart 2015 is de keur van waterschap Aa en Maas gewijzigd. De ‘oude’ keur is daarbij
vervangen door een nieuwe keur die geldt voor alle drie de Brabantse waterschappen.

Bij een toename en afkoppelen van het verhard oppervlak geldt het uitgangspunt dat plannen zoveel mogelijk hydrologisch neutraal worden uitgevoerd. Het doel van dit uitgangspunt is om te voorkomen dat hemelwater als gevolg van uitbreiding van het verhard oppervlak versneld op het watersysteem wordt geloosd. Voor lozingen op een oppervlaktewater eist het Waterschap daarom een vervangende berging, die de extra afvoer van het nieuwe verharde oppervlak als het ware neutraliseert. Gemeenten stellen vanuit hun eigen verantwoordelijkheid voorwaarden aan de afvoer via een rioleringsstelsel. Bij het invullen van de compensatieopgave wordt tevens gekeken naar de mogelijke realisering van andere waterdoelen. Het gaat hierbij dus om een optimale inpassing van een plan in zijn omgeving, waarbij ook gekeken moet worden naar het huidig en toekomstig functioneren van het totale (deel)stroomgebied waar de ontwikkeling onderdeel van uitmaakt. Naast het behoud van voldoende systeemrobuustheid, kan hiermee beter invulling worden gegeven aan de gewenste doelmatigheid. Bovendien biedt dit mogelijkheden voor waterschappen en gemeenten om ook andere dan hydrologische aspecten mee te nemen in de afweging. Het gaat hierbij bijvoorbeeld om het oplossen van waterkwaliteitsknelpunten of het tegengaan van verdroging.

De waterschappen maken bij het beoordelen van plannen met een toegenomen verhard oppervlak onderscheid tussen grote en kleine plannen. Hoewel er relatief veel kleine plannen zijn veroorzaken deze op deelstroomgebiedsniveau nauwelijks een toename van de maatgevende afvoer. Dit heeft er toe geleid dat voor kleine plannen kan worden volstaan met het toepassen van een eenvoudige rekenregel voor het bepalen van de compensatieopgave. Deze rekenregel is onderdeel van de algemene regel. Voor grotere plannen volstaat de rekenregel niet voor het bepalen van de compensatie-opgave, omdat de impact van dergelijke plannen op het watersysteem (veel) groter is. Voor grote plannen is daarom altijd een waterhuishoudkundig onderzoek door de initiatiefnemer noodzakelijk en dient het waterschap vroegtijdig te worden betrokken. Het document ‘Hydrologische uitgangspunten bij de Keurregels voor afvoeren van hemelwater, Brabantse waterschappen’ bevat de richtlijnen voor het waterhuishoudkundig onderzoek en kan zowel worden gebruikt door initiatiefnemer of adviesbureau voor het uitvoeren van het waterhuishoudkundig onderzoek, als door het waterschap voor het beoordelen ervan.

Voor een optimale inpassing van plannen met een uitbreiding van het verhard oppervlak is het noodzakelijk het waterschap in een vroeg stadium te betrekken. Dit geldt zowel voor kleine als grote plannen en vormt onderdeel van de watertoets. Alleen op deze wijze kunnen waterbeheerder en initiatiefnemer gezamenlijk zorgen voor het behoud van de robuustheid van het watersysteem en kan wateroverlast in de toekomst zoveel mogelijk worden beperkt.

Hoofdstuk 3 Planontwikkelingen en herstelwijzigingen

3.1 Berken/Fransenhof, Milheeze (ontwikkeling)

3.1.1 Aanleiding en situatie

Op de locatie Berken 9 te Milheeze is een pluimveehouderij met een bedrijfswoning gevestigd. Ter plaatse van de locatie Berken 9 is een gekoppeld bestemmingsvlak ‘Agrarisch – Agrarisch bedrijf’ met de functieaanduiding ‘intensieve veehouderij’ aanwezig. De bedrijfswoning bevindt zich in vervallen staat. Binnen het bestemmingsvlak zijn oude pluimveestallen aanwezig.De initiatiefnemer is voornemens de boerderij op de locatie Berken 9 te herbouwen en te gebruiken als burgerwoning. Daarnaast wil hij een drietal Ruimte-voor-Ruimte woningen oprichten op de gronden behorende bij de veehouderijlocatie; één woning ten westen van de te herbouwen boerderij en twee woningen aan de Fransenhof.

Deze ontwikkeling is in strijd met de regels van het vigerend bestemmingsplan; er wordt een drietal woningen gerealiseerd binnen een agrarische bestemming. Daarnaast dient de agrarische bedrijfsbestemming te worden gewijzigd in de bestemming ‘Wonen’. Derhalve dient een bestemmingsplanprocedure te worden doorlopen.

3.1.2 Locatie

Het plangebied ligt aan de noordzijde tegen de kern Milheeze. De locatie bestaat uit de percelen, kadastraal bekend als gemeente Bakel en Milheeze, sectie P, nummer 1716 en sectie B, nummer 1163. Het plangebied is gelegen aan weerszijden van de weg Berken en wordt aan de noordzijde begrensd door de woningen aan de Fransenhof. Westelijk bevinden zich woonbestemmingen aan de Berken en oostelijk de dorpsuitbreiding aan de Geerdenhof. Aan de zuidzijde grenst het plangebied aan een onverharde weg (Berken), weidegronden en de kern van Milheeze.

afbeelding "i_NL.IMRO.1652.Buitengebied122021-ON01_0001.png"

Figuur 3.1.1 Ligging plangebied (ruimtelijke onderbouwing Berken/Fransenhof, Milheeze, Agron advies en Donkers Relou, 2021)

3.1.3 Huidige situatie

Binnen het plangebied is een pluimveehouderij met een bedrijfswoning gevestigd. De agrarische activiteiten zijn reeds jaren geleden beëindigd en het veebestand is ingetrokken. Aan de oost- en westzijde van het noordelijk deel van het plangebied zijn flinke houtsingels aanwezig. Het zuidelijk gedeelte van het plangebied is aan alle zijden (met uitzondering van de wegzijde) volledig ingekleed met groen.

Op het plangebied is het bestemmingsplan ‘Gemert-Bakel Buitengebied 2017’ van toepassing. De veehouderijlocatie heeft de enkelbestemming ‘Agrarisch – Agrarisch bedrijf’ met de functieaanduiding ‘intensieve veehouderij’ met een gekoppeld bouwvlak van circa 0,5 hectare. De bedrijfswoning is aangeduid middels de ‘specifieke bouwaanduiding – beeldbepalend pand’. Het overige gedeelte van het plangebied heeft de bestemming ‘Agrarisch’. Daarnaast zijn op het totale plangebied de dubbelbestemming ‘Waarde – Archeologie 4’ en gebiedsaanduidingen ‘overige zone – beperkingen veehouderij’ en ‘luchtvaartverkeerzone – ihcs’ van toepassing.

De diverse gebouwen binnen het plangebied verkeren in een bouwkundig zeer slechte staat, met name de boerderij Berken 9. Het asbest is reeds van de daken verwijderd, zowel van de stallen als van de woning met bijbehorende bouwwerken.

afbeelding "i_NL.IMRO.1652.Buitengebied122021-ON01_0002.png"

Figuur 3.1.2 Bestaande situatie (ruimtelijke onderbouwing Berken/Fransenhof, Milheeze, Agron advies en Donkers Relou, 2021)

3.1.4 Het plan

De initiatiefnemer is voornemens:

  • De agrarische bedrijfsbestemming in de bestemming ‘Wonen’ te wijzigen ten behoeve van het gebruik van de bedrijfswoning als burgerwoning
  • De pluimveestallen te slopen
  • De boerderij Berken 9 met de bijbehorende bouwwerken te slopen en te herbouwen
  • Een drietal Ruimte-voor-ruimtewoningen op te richten op het perceel Berken 9 en op een locatie ten noorden van de veehouderijlocatie aan de zijde van de Fransenhof

Daarnaast wordt in het plangebied een wandelpad opgenomen dat de Fransenhof met de Geerdenhof verbindt; deze loopt tussen de noordelijke kavels door en loopt vervolgens zuidelijk van de meest noordoostelijke kavel richting de Geerdenhof.

Ten behoeve van de Ruimte-voor-ruimtewoningen zijn bouwtitels aangekocht. De bewijsstukken hiervan worden vóór vaststelling van het bestemmingsplan toegevoegd aan het plan.

afbeelding "i_NL.IMRO.1652.Buitengebied122021-ON01_0003.png"

Figuur 3.1.3 Situatietekening beoogde situatie (ruimtelijke onderbouwing Berken/Fransenhof, Milheeze, Agron advies en Donkers Relou, 2021)

Ten aanzien van de te herbouwen boerderij is een bouwhistorische verkenning uitgevoerd. Op basis van de bevindingen en conclusies van de ‘Bouwhistorische verkenning met waardestelling Berken 9 te Milheeze gemeente Gemert-Bakel (Monumentenhuis Brabant b.v., 21 juli 2020), wordt bij de herbouw een keuze gemaakt tussen twee bouwfasen:

1. Hallenhuis als uitgangspunt voor ontwerp:

  • voorhuis aan veldzijde (in kopgevel) en stalzijde aan straatzijde
  • voordeur aan veldzijde
  • voorhuis is één travee breed, stalgedeelte de overige traveeën
  • plattegrond volgt plattegrond oorspronkelijk hallenhuis
  • dak is volledig bedekt met riet
  • de oorspronkelijke kelder blijft gehandhaafd (daarmee de opkamer ook).

óf:

2. Langgevelboerderij als uitgangspunt voor het ontwerp:

  • voorhuis aan veldzijde en stalzijde aan straatzijde
  • voordeur in zijgevel van het voorhuis (langgevel)
  • huidige brandmuur vormt scheiding tussen voor- en achterhuis (voorhuis is twee traveeën breed)
  • plattegrond wordt ingekort tot voormalige buitenmuur
  • dak is bedekt met riet en pannen conform de verhouding zoals aangegeven in het beeldkwaliteitsplan en vastgelegd in de regels
  • de oorspronkelijke kelder blijft gehandhaafd (daarmee de opkamer ook)


De randvoorwaarden voor de herbouw van de boerderij zijn als toetsingskader verankerd in een separaat beeldkwaliteitsplan dat wordt opgenomen in de regels van het bestemmingsplan. Dit beeldkwaliteitsplan is tevens als bijlage bij de ruimtelijke onderbouwing gevoegd.

3.1.5 Stedenbouwkundige motivatie

Herbouw boerderij Berken 9 en schuurwoning

De boerderij is bouwkundig in zeer slechte staat. Er is geen kap meer aanwezig en met name in het achterhuis zijn er veel originele kenmerken verloren gegaan. Verder is de boerderij in een binnenbocht van de weg Berken gesitueerd en staat deze bijna op de deze weg. Verkeerstechnisch is de situatie zeer onveilig. Dit wordt bevestigd in de praktijk doordat het metselwerk bij de hoek van de achtergevel beschadigd is door verkeer.

De huidige wegenstructuur dateert al van voor 1900, die haaks uitkomt op de lintbebouwing van het dorp Milheeze. Bijzonder is dat de langgevelboerderij met de achterkant (stalgedeelte) naar De Berken is gesitueerd. Rond 1890 was er echter ook nog een zandpad ten zuiden van de boerderij gelegen.

Alle bijbehorende bouwwerken worden gesloopt en hiervoor komt een schuurwoning aan de noordzijde van de boerderij terug die hiermee onderdeel gaat maken van het ensemble.

De erfbeplanting en erfinrichting dient voor beide woningen op elkaar afgestemd te worden zodat het als één geheel in het gebied opgenomen wordt. De schuurwoning mag in het kader van de Ruimte-voor-Ruimte regeling worden gebouwd.

Twee woningen aan gehucht Fransenhof

Uitgangspunt is dorps wonen in een gehucht/buurtschap in boerderijstijl of eigentijds ontwerp met enkelvoudige massa onder een zware kap. Er is sprake van een gezamenlijk erf met deze twee woningen als afsluiting. Op deze manier blijft het open kleinschalige karakter van het oude cultuurlandschap behouden. De zichtlijnen naar akkergronden en houtwallen en bomenrijen blijven behouden.

Om verbinding te leggen met het andere gehucht Geerdenhof, wordt er aan de zuidzijde een wandel/ fietspad (langzaam verkeer) aangelegd als ommetje aan de rand van het dorp Milheeze. Dit is onderdeel van de diverse ommetjes in Milheeze Noord. Tussen de woningen wordt het pad afgescheiden met struweelbeplanting. Het pad is half verhard.

Het perceel waar nu de stallen gesitueerd zijn wordt ingericht als weiland of kleinschalige akkerbouwgrond.

Kwaliteitsverbetering van het landschap

De gemeentelijke ‘Handreiking Kwaliteitsverbetering van het landschap Gemert-Bakel’ (geactualiseerd op 20 februari 2018) vormt een vertaling van het regionale afsprakenkader (10 januari 2013) waarin het toepassingsbereik van kwaliteitsverbetering, de hoogte van de basisinspanning en aanvullende kwaliteitsverbetering zijn vastgelegd. Ruimtelijke ontwikkelingen zijn in de handreiking in twee categorieën ingedeeld, beoordeeld op impact op de omgeving en het landschap. De wijziging van de agrarische bestemming in een woonbestemming betreft een categorie 2-ontwikkeling (‘Ruimtelijke ontwikkelingen waarbij een investering in de kwaliteitsverbetering van het landschap wordt verlangd’). De oprichting van de Ruimte-voor-ruimtewoningen betreft een categorie 1-ontwikkeling, waarbij alleen een landschappelijke inpassing is vereist.

Voor de categorie 2-ontwikkeling betekent dit dat een basisinspanning is vereist bestaande uit een landschappelijke inpassing met een omvang van 20% van de omvang van het bestemmingsvlak waarbij de landschappelijke inpassing dient te voldoen aan het beeldkwaliteitsplan. Daarnaast is een aanvullende kwaliteitsverbetering van het landschap vereist. Dit houdt in dat 20% van de waardevermeerdering van de gronden dient te worden geïnvesteerd in de kwaliteitsverbetering van het landschap.

Op basis van de handreiking is een berekening gemaakt van de waardevermeerdering als gevolg van de ontwikkeling. Hierin zijn de Ruimte-voor-ruimtewoningen buiten beschouwing gelaten (categorie 1). De berekening ziet dan ook uitsluitend op de wijziging van de bestemming ‘Agrarisch – Agrarisch bedrijf’ naar ‘Wonen’ op de locatie Berken 9 (agrarische bedrijfswoning wordt burgerwoning). De agrarische bedrijfslocatie (4.760 m²) vertegenwoordigt op basis van de gemeentelijke handreiking een waarde van € 119.000,-. In de beoogde situatie wordt aan de nieuwe woonbestemming (1.020 m²) een waarde toegekend van € 101.400,-; de overige oppervlakte van het agrarisch bouwvlak wordt onbebouwde agrarische grond (3.740 m²), met een waarde van € 18.700,-. In totaal is er in de beoogde situatie sprake van een waardevermeerdering van € 1.100,-. De investering heeft op basis hiervan een hoogte van € 220,-.

Er wordt geïnvesteerd in de kwaliteitsverbetering van het landschap door de sloop van de pluimveestallen (1.230 m²); de hoogte van deze investeringskosten bedraagt € 30.750,-. Daarmee wordt ruimschoots voldaan aan de minimaal vereiste basisinspanning.

Voor de ontwikkeling is een landschappelijk inpassingsplan opgesteld. Dit plan voldoet aan het geldende beeldkwaliteitsplan en de handreiking kwaliteitsverbetering van het landschap. De landschappelijke inpassing is weergegeven in figuur 3.1.3.

3.2 De Wind 7, Gemert (ontwikkeling)

3.2.1 Aanleiding en situatie

Op de locatie De Wind 7 is momenteel sprake van een varkenshouderij met akkerbouwtak. De varkenshouderij wordt echter gestaakt. Om mogelijkheden op de locatie te benutten, worden de aanwezige stallen gesloopt voor Ruimte-voor-Ruimte woningen en wordt de bestemming omgezet naar een akkerbouwbedrijf. De Ruimte-voor-Ruimte woningen worden aan de westzijde van de huidige bedrijfslocatie gerealiseerd. De oostzijde van het perceel wordt in gebruik genomen voor het akkerbouwbedrijf. Binnen dit deel van het perceel is ook de bedrijfswoning gelegen. Na uitvoering van het plan is het niet langer mogelijk om een intensieve veehouderij te voeren op de locatie. In de toekomstige situatie is sprake van wonen en een agrarisch akkerbouwbedrijf.

De voorgenomen ontwikkeling past niet binnen de kaders van het vigerende bestemmingsplan. Het gewenste initiatief is wel mogelijk middels een herziening van het bestemmingsplan.

Ten behoeve van het akkerbouwbedrijf wordt het bestemmingsvlak beperkt gewijzigd.

3.2.2 Locatie

Het plangebied omvat de percelen aan De Wind 7 te Gemert. De locatie is kadastraal bekend onder gemeente Gemert, sectie O, nummer 1225 (gedeeltelijk),1226, 2.962 (gedeeltelijk) en 2.963 (gedeeltelijk). Het plangebied ligt in het buitengebied van de gemeente Gemert-Bakel, ten noorden van de kern Gemert.

afbeelding "i_NL.IMRO.1652.Buitengebied122021-ON01_0004.png"

Figuur 3.2.1 Ligging plangebied (toelichting De Wind 7 Gemert, Geling Advies, 2021)

3.2.3 Huidige situatie

Op de locatie is het bestemmingsplan “Gemert-Bakel Buitengebied 2017” van toepassing. De locatie heeft de hoofdbestemming ‘Agrarisch – Agrarisch bedrijf’. Daarnaast heeft de locatie de dubbelbestemming ‘Waarde – Archeologie 5’, de functieaanduiding ‘intensieve veehouderij’ en ‘specifieke bouwaanduiding – beeldbepalend pand’.

Op onderhavige locatie zijn momenteel aanwezig een bedrijfswoning en twee varkensstallen. De drie gebouwen hebben een gezamenlijk oppervlak van circa 4.487 m2.

afbeelding "i_NL.IMRO.1652.Buitengebied122021-ON01_0005.png"

Figuur 3.2.2 Bestaande situatie (landschappelijke inpassing De Wind 7, Paumen, 2021)

3.2.4 Het plan

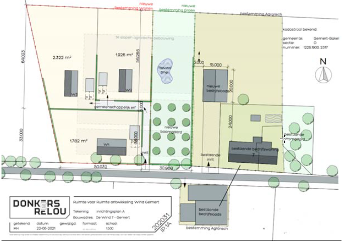
De drie stallen zullen geamoveerd worden. De beeldbepalende bedrijfswoning blijft geheel behouden. Door de sloop van de bedrijfsbebouwing wordt ruimte gemaakt voor de bouw van een drietal ruimte voor ruimte woningen. Per woning mag er maximaal 150 m2 aan bijgebouwen aanwezig zijn. Aan de noordzijde van de weg komt ook een nieuwe akkerbouwloods. Deze krijg een oppervlakte van 300 m2.

Het uitgangspunt is het behouden van de karakteristiek van het boerenerf. Om dit te behouden is het voorstel een herverkaveling met drie nieuwe bouwpercelen met een ontsluiting vanuit de bestaande inrit van het erf. De woningen dienen allemaal zoveel mogelijk vrij uitzicht te hebben en ondergeschikt te zijn aan de beeldbepalende boerderij. De kavels zijn ingedeeld in percelen van ongeveer 1600 m2 tot 2400 m2. De beeldbepalende boerderij en de loods worden gescheiden door een poel en een fruitboomgaard. Dit is noodzakelijk om te kunnen voldoen aan de vanuit de milieuwetgeving noodzakelijke richtafstand voor het te behouden akkerbouwbedrijf.

De vormgeving betreft een eigentijdse architectuur passend bij de beeldbepalende boerderij en de omgeving zoals een moderne schuurwoning van 1 laag met een kap.

afbeelding "i_NL.IMRO.1652.Buitengebied122021-ON01_0006.png"Figuur 3.2.3 Toekomstige verkaveling (toelichting De Wind 7 Gemert, Geling Advies, 2021)

De huidige en nieuwe bebouwing wordt landschappelijk ingepast. De landschappelijke context is te kenschetsen als bouwland in een oudere ontginning. Kenmerkend voor deze context is het voorkomen van:

  • a. hagen, bomenrijen, boomgaardjes en solitaire bomen nabij de bebouwing;
  • b. groensingels, houtwallen of bomenrijen aan de veldkant.

In het beeldkwaliteitsplan buitengebied van de gemeente Gemert Bakel wordt het plangebied gerangschikt in de zone 'gehuchten in het Kampen-landschap'. Een groene uitstraling en erfbeplanting aan alle zijden vormen wezenlijke uitgangspunten van dit plan. Het plangebied wordt in de benadering en uit de nabijheid waargenomen vanaf de voornamelijk door bestemmingsverkeer benutte De Wind. Het wordt over grotere afstand waargenomen van de ten noorden gelegen Handelsesteeg en de ten oosten gelegen Boekelseweg. Het plangebied toont zich in een uit bomen en hagen bestaand groen kader en in relatie tot de uit bomenrijen langs de wegen bestaande coulissen. De uit een groensingel, hagen en bomen bestaande aanwezige beplanting sluit aan bij de landschappelijke context en wordt goed beheerd.

afbeelding "i_NL.IMRO.1652.Buitengebied122021-ON01_0007.png"Figuur 3.2.4 Bestaande en nieuwe landschapselementen (landschappelijke inpassing De Wind 7, Paumen, 2021)


Met onderhavige herziening van het bestemmingsplan wordt de bestemming van de locatie deels omgezet naar 'Wonen', waarmee nieuwbouw van een drietal woningen mogelijk wordt gemaakt. Een deel van het bestemmingsvlak krijgt de agrarische bestemming. Tot slot krijgt de rest van het perceel de bestemming 'Agrarisch - Agrarisch bedrijf', ten behoeve van een akkerbouwbedrijf. Bij dit bedrijf komt, naast de bestaande loods, een nieuwe loods met een oppervlakte van 300 m2. Het bestemmingsvlak voor het bedrijf wordt hierbij beperkt gewijzigd om te komen tot een logische indeling van het perceel van het akkerbouwbedrijf.

Kwaliteitsverbetering van het landschap

De gemeente Gemert-Bakel heeft de ‘Handreiking Kwaliteitsverbetering van het landschap Gemert-Bakel’ vastgesteld. Aan de hand van deze handreiking wordt bepaald of een investering in kwaliteitsverbetering noodzakelijk is en als dit aan de orde is, hoeveel deze bijdrage moet zijn.

Voor de ontwikkeling van de ruimte voor ruimte kavels geldt dat een investering in kwaliteitsverbetering niet aan de orde is. De sloop van de stallen en het inleven van de fosfaatrechten voor het verkrijgen van de ruimte voor ruimte titel zijn aangemerkt als de investering in de kwaliteitsverbetering.

Voor de agrarische functie die gehandhaafd wordt, moet wel gekeken worden of sprake is van een investeringsplicht. Hiertoe is een berekening uitgevoerd naar de waardevermeerdering. Als een vergelijk gemaakt wordt tussen de huidige waarde van het bedrijf en de toekomstige waarde is sprake van een waardevermindering van € 261.300,-. Hiermee geldt er geen investeringsverplichting. Enkel het uitvoeren van landschappelijke inpassing is voldoende. Hiertoe is een landschappelijk inpassingsplan opgesteld (zie figuur 3.2.4).

3.3 Esdonk 45, Gemert (ontwikkeling)

3.3.1 Aanleiding en situatie

Op de locatie Esdonk 45 is momenteel sprake van een varkenshouderij en akkerbouwtak. De varkenshouderij wordt echter gestaakt. Om mogelijkheden op de locatie te kunnen benutten, worden de aanwezige stallen gesloopt en wordt de bestemming ter plaatse van deze stallen omgezet naar wonen, dit ten behoeve van de realisatie van twee nieuwe woningen op het perceel. Daarnaast zal de huidige boerderijwoning met achterliggende bedrijfsgebouwen bij de akkerbouwtak voorlopig (maximaal 5 jaar) worden gehandhaafd. Daarna wordt ook de boerderijwoning als burgerwoning in gebruik genomen.

3.3.2 Locatie

Het plangebied omvat de percelen aan de Esdonk 45 te Gemert. De locatie is kadastraal bekend onder gemeente Gemert, sectie O, nummer 27. Onderstaand is het plangebied weergegeven.

Het plangebied ligt in het buitengebied van de gemeente Gemert-Bakel, ten noorden van de kern Gemert.

afbeelding "i_NL.IMRO.1652.Buitengebied122021-ON01_0008.png"Figuur 3.3.1 Ligging plangebied (bron: www.opentopo.nl)

Op de locatie is het bestemmingsplan "Gemert-Bakel Buitengebied 2017" van toepassing. Dit bestemmingsplan is op 5 juli 2018 vastgesteld. De locatie heeft de hoofdbestemming 'Agrarisch - Agrarisch bedrijf'. Daarnaast heeft de locatie de dubbelbestemming 'Waarde - Archeologie 5', de functieaanduiding 'intensieve veehouderij' en 'specifieke bouwaanduiding - beeldbepalend pand'. Onderstaand is de ligging van de locatie binnen het bestemmingsplan weergegeven.

3.3.3 Huidige situatie

Op onderhavige locatie is momenteel een bedrijfswoning aanwezig, drie varkensstallen, een loods, een berging en een mestbassin. De vier gebouwen hebben een gezamenlijk oppervlak van ca. 1.745 m2. Onderstaand is een huidig bovenaanzicht van de locatie weergegeven. Ook de stal ten zuiden van de weg wordt gesloopt.

afbeelding "i_NL.IMRO.1652.Buitengebied122021-ON01_0009.png"

Figuur 3.3.2 Luchtfoto bestaande situatie Esdonk 45 (Geling Advies, 2020)

Het mestbassin heeft een oppervlakte van ca. 400 m2. De stallen en het bassin zullen ten behoeve van het plan geamoveerd worden. De bedrijfswoning blijft geheel behouden. Door de sloop van de bedrijfsbebouwing wordt nieuwbouw van een tweetal ruimte voor ruimte woningen mogelijk gemaakt. Per woning mag er maximaal 150 m2 aan bijgebouwen aanwezig zijn.

3.3.4 Het plan

Met dit bestemmingsplan wordt de bestemming van de locatie deels omgezet naar 'Wonen', deels naar 'Gemengd'. Binnen de bestemming 'Wonen' wordt nieuwbouw van een tweetal woningen mogelijk gemaakt. Binnen de bestemming 'Gemengd' blijft voorlopig (maximaal 5 jaar) de akkerbouwtak behouden. De boerderijwoning fungeert gedurende die periode als bedrijfswoning bij het akkerbouwbedrijf. Na maximaal 5 jaar wordt de akkerbouwtak beëindigd en gaat de bestemming 'Gemengd' enkel nog uit van het wonen in een burgerwoning. Op dat moment wordt een deel van de resterende agrarische bedrijfsgebouwen gesloopt, zodat voldaan kan worden aan de voorwaarde van maximaal 150 m² aan bijbehorende bouwwerken bij een burgerwoning.

Betreffende de positionering en oriëntatie van de te bouwen woningen zijn navolgende uitgangspunten vast te leggen:

  • c. De woningen worden ontsloten via het centrale erf.
  • d. De voorkant c.q. ontsluitingszijde van de woning aan de westkant is van het plangebied is gericht op het centrale erf, de voorkant van de woning aan de noordkant van het plangebied is gericht op de weg.
  • e. De woningen zijn terugwijkend, achter de achterste gevel van de oude hoeve te positioneren:
    • 1. De zuidgevel van de woning aan de westkant is 'in lijn' met de achtergevel van de oude hoeve te positioneren.
    • 2. De zuidgevel van de centraal gelegen woning is parallel aan de weg en 17 meter, noordelijker dan de achtergevel van de oude hoeve te positioneren.

Betreffende de massa en detaillering van de woningen zijn navolgende uitgangspunten te definiëren:

  • a. De nok van de woning aan de westkant is loodrecht op weg gericht, de nok van de centraal gelegen woning is parallel aan de weg gelegen.
  • b. Streefbeeld is een zo te noemen 'schuurwoning'; de woningen zijn ondergeschikt aan de hoofdbebouwing (de oude hoeve).
  • c. Het dakvlak dient bij voorkeur verhoudingsgewijs groter te zijn dan het gevelvlak; de goothoogte is maximaal 3,5 meter en de nokhoogte 9 meter.

De woningen worden als 'schuurwoningen' ontworpen, waardoor ze ondergeschikt zijn aan de hoofdbebouwing. Voor de bebouwing van de nieuw te bouwen ruimte voor ruimte woningen wordt gebiedseigen (historische) architectuur voorgeschreven. Dit betekent dat er een boerderij typologie wordt voorgeschreven in traditionele of moderne vorm.

De huidige en nieuwe bebouwing wordt landschappelijk ingepast.

De huidige en nieuwe bebouwing wordt landschappelijk ingepast:

  • a. De oude hoeve met de resterende berging en de te bouwen loods gaan in stedenbouwkundig opzicht een binding aan met de te bouwen woningen; ze vormen samen een ringvormige structuur.
  • b. De woningen zijn als een rechthoekig, langgerekt (gebiedseigen) volume vorm te geven en terughoudend, achter de rooilijn van de hoeve gepositioneerd.
  • c. De woningen worden ontsloten via een gemeenschappelijke inrit en oprit ter hoogte van de huidige inrit ten westen van de stallen. De aanwezige rij lindes fungeert als ruimtelijke drager voor deze ontsluiting. De oprit eindigt in een centrale ruimte met mogelijkheden om te keren. De hoofdontsluiting van de woningen is op deze ruimte gericht. Het resterende agrarisch bedrijf wordt separaat ontsloten. Een combinatie met de woningen is op grond van veiligheidsaspecten, hygiëne en verschillen betreffende de benutting niet te overwegen.
  • d. De woning aan de westkant richt de westgevel op de ten westen gelegen boomgaard, gaat hier een binding mee aan. Bij de woning in het centrum van het plangebied is het zuidelijk deel van de kavel in te richten en te benutten als een huisweitje (spelen, kleinvee). Tuinen en huisweides worden omzoomd door geschoren hagen en bomen, de loods met bijbehorende erfverharding ten westen en noorden van de hoeve wordt omzoomd door een groensingel bestaande uit struiken en bomen.

afbeelding "i_NL.IMRO.1652.Buitengebied122021-ON01_0010.png"

Figuur 3.3.3 Beoogde situatie en landschappelijke inpassing (landschappelijke inpassing Esdonk 45, Paumen, 2020)

Kwaliteitsverbetering van het landschap

De gemeente Gemert-Bakel heeft de ‘Handreiking Kwaliteitsverbetering van het landschap Gemert-Bakel’ vastgesteld. Aan de hand van deze handreiking wordt bepaald of een investering in kwaliteitsverbetering noodzakelijk is en als dit aan de orde is, hoeveel deze bijdrage moet zijn.

Voor de ontwikkeling van de ruimte voor ruimte kavels geldt dat een investering in kwaliteitsverbetering niet aan de orde is. De sloop van de stallen en het inleven van de fosfaatrechten voor het verkrijgen van de ruimte voor ruimte titel zijn aangemerkt als de investering in de kwaliteitsverbetering.

Voor de agrarische functie die gehandhaafd wordt, moet wel gekeken worden of sprake is van een investeringsplicht. Hiertoe is een berekening uitgevoerd naar de waardevermeerdering. Als een vergelijk gemaakt wordt tussen de huidige waarde van het bedrijf en de toekomstige waarde is sprake van een waardevermindering van € 13.125,-. Hiermee geldt er geen investeringsverplichting. Enkel het uitvoeren van landschappelijke inpassing is voldoende. Hiertoe is een landschappelijk inpassingsplan opgesteld (zie figuur 3.3.3).

Na vijf jaar wordt de bestemming omgezet naar een woonbestemming. Ook voor deze toekomstige situatie is een berekening uitgevoerd naar de waardevermeerdering. Als een vergelijk gemaakt wordt tussen de huidige waarde van het bedrijf en de toekomstige waarde is sprake van een waardevermeerdering van € 41.400,-. Hiervan moet 20% geïnvesteerd worden in kwaliteitsverbetering. Dit is een bedrag van € 8.280,- Bij de herontwikkeling na 5 jaar is sprake van sloop van het gebouw aan de overzijde van de weg en het verwijderen van een mestzak en verharding. De investering die hiermee gepaard gaat bedraagt € 8.575,- Dit bedrag is hoger dan de investeringsverplichting, waarmee wordt voldaan aan het beleid.

3.4 EVZ Esperloop Geneneind-Neerstraat, Bakel (ontwikkeling)

3.4.1 Aanleiding en situatie

De gemeente Gemert-Bakel werkt samen met het waterschap Aa en Maas aan de totstandkoming
van de Ecologische Verbindingszone (EVZ) Esperloop Benedenloop. De Esperloop is een laaglandbeek ten noorden van Bakel die ontspringt in het brongebied Geneneind en uiteindelijk ten oosten van Grotel uitkomt in de Snelle Loop. De Esperloop is een van de waterlopen binnen het beheergebied van Waterschap Aa en Maas waar de doelen EVZ, Kaderrichtlijn water (KRW) en het oplossen van vismigratieknelpunt als opgaven liggen. In het kader van de realisatie van de EVZ wordt tevens een bestaande houtwal, gelegen ter hoogte van de Neerstraat 10 in Bakel, gekapt en herplant binnen de EVZ.

3.4.2 Locatie

Het onderhavige plangebied is gelegen in het buitengebied ten noorden van de kern Bakel. De locatie omvat globaal de gronden die zijn gelegen ter plaatse van en direct aangrenzend aan het deel van de huidige Esperloop dat ligt tussen Geneneind in het oosten en de Neerstraat in het westen. Ook een bestaande houtwal ter hoogte van Neerstraat 10, op circa 100 meter ten zuiden van de huidige waterloop, maakt onderdeel uit van het plangebied. Het totale projectgebied voor de EVZ omvat circa 7,5 hectare aan gronden. De gronden waarop de huidige houtwal is gelegen staan kadastraal bekend als gemeente Bakel, sectie U, nummer 403. Dit perceel is circa 3.090 m2 groot.

Ter plaatse van het plangebied vigeert het bestemmingsplan “Gemert-Bakel Buitengebied 2017”, zoals vastgesteld op 5 juli 2018. De gronden zijn in dit bestemmingsplan bestemd als 'Agrarisch', 'Natuur' en 'Water'. Binnen de bestemming 'Agrarisch' is de ontwikkeling en instandhouding van natuur en landschap weliswaar toegestaan, echter als ondergeschikte functie van (bedrijfsmatig) agrarisch grondgebruik. Dit biedt onvoldoende waarborg dat de EVZ kan worden uitgevoerd en in stand gehouden conform het Projectplan. De bestemming 'Natuur' daarentegen beperkt juist dat de aanwezige houtwal permanent kan worden verwijderd. Binnen de tot 'Water' bestemde gronden is het in beginsel wel mogelijk om (een gedeelte van) de EVZ te realiseren, echter de ligging van deze bestemming correspondeert niet overal met de beoogde situering van de waterloop. Bovendien is de bestemming van onvoldoende omvang om de totale EVZ tot stand te kunnen brengen.

afbeelding "i_NL.IMRO.1652.Buitengebied122021-ON01_0011.png"

Figuur 3.4.1 Ligging plangebied Esperloop en houtwal (toelichting EVZ Esperloop Geneneind-Neerstraat, Compositie 5, 2021)

3.4.3 Huidige situatie

Het beeld van de beek varieert binnen het projectgebied. De Esperloop bovenstrooms van het Grotels Bos stroomt door een open agrarisch gebied. In dit gedeelte heeft de waterloop een onnatuurlijk open karakter, is kunstmatig gestuwd en is grotendeels genormaliseerd met weinig variatie in stroomsnelheid en substraat. In dit traject stort het riool van Bakel incidenteel water over in de Esperloop. De afstand tussen de beek en landbouwpercelen bedraagt hier vaak minder dan 1 meter. Opgaande vegetatie is op dit deel van de Esperloop nauwelijks aanwezig waardoor weinig schaduw op de beek valt. Het aandeel kenmerkende beekflora en -fauna is laag waardoor het traject als matig is beoordeeld voor de KRW-richtlijn. Benedenstrooms van het Grotels Bos stroomt de Esperloop door een bos- en heidegebied en heeft al een min of meer natuurlijk en vrij meanderend karakter met variatie in stroomsnelheid en bodemsubstraat. Dit deel van de Esperloop vormt leefgebied voor de gewone bronlibel. Op snelstromende delen bestaat het bodemsubstraat uit zand en op stromingsluwe delen uit slib en detritus. Het gedeelte aan de noordzijde (vanaf de scherpe knik tot de Neerstraat) heeft een meer gekanaliseerd uiterlijk.

afbeelding "i_NL.IMRO.1652.Buitengebied122021-ON01_0012.png"

Figuur 3.4.2 Impressie huidige situatie (toelichting EVZ Esperloop Geneneind-Neerstraat, Compositie 5, 2021)

3.4.4 Het plan

De Esperloop dient uiteindelijk over de gehele lengte te voldoen aan het streefbeeld conform de KRW voor ‘langzaam stromende bovenloop op zand’ (type R4). Ook dient de beek het ‘nat kralensnoer‘ te vormen binnen de EVZ Esperloop. Om de EVZ op het traject Geneneind-Neerstraat gerealiseerd te krijgen was het nodig om een 25 meter brede strook over 1 km langs de Esperloop te verwerven. Het gaat hierbij om 2,5 hectare. Deze grond was eigendom van een melkveehouder waarbij deze grond in de huiskavel van het bedrijf ligt. Voor een melkveebedrijf is het belangrijk dat er grond rond (dus nabij) het bedrijf ligt. Om de aankoop van de grond mogelijk te maken is getracht om goede vervangende grond aan te bieden en landbouwkundige voordelen mogelijk te maken. Een grote wens van de ondernemer was het verplaatsen van de houtwal, die midden op zijn huiskavel ligt, naar de nieuw aan te leggen ecologische verbindingszone. De houtwal is als landschapselement waardevol op de huidige, echter kan in de nieuwe situatie van nog grotere waarde zijn in het geheel van de EVZ dan als solitair element.

Alle 57 bomen en de ondergroei van de houtwal worden gerooid, waarna de vrijkomende gronden worden toegevoegd aan het agrarische perceel behorende bij de melkveehouderij. De herplant van de bomen wordt uitgevoerd binnen het nieuw in te richten tracé van de EVZ Esperloop. Parallel aan de Esperloop en op een aantal plaatsen haaks op de beek wordt bosplantsoen aangeplant, met als doel de landschappelijke en ecologische waarden van de ecologische verbindingszone Esperloop te verhogen. Daarnaast worden extra bomen aangeplant. Nabij het KPJ-terrein komt een bomenrij van circa dertien stuks om de ligging van de Peelrandbreuk te accentueren. Daarmee is de verwijderen van de houtwal in voldoende mate gecompenseerd.

afbeelding "i_NL.IMRO.1652.Buitengebied122021-ON01_0013.png"

Figuur 3.4.3 Aan te passen traject Esperloop (toelichting EVZ Esperloop Geneneind-Neerstraat, Compositie 5, 2021)

3.5 Heidveld 4, Bakel (ontwikkeling)

3.5.1 Aanleiding en situatie

De locatie Heidveld 4 ligt ten zuiden van de kern Bakel, op zo'n kilometer van de rand van het dorp. Op de locatie bevindt zich een varkenshouderij. Binnen het bedrijfsperceel zijn een bedrijfswoning en diverse agrarische bedrijfsgebouwen aanwezig. De initiatiefnemer heeft besloten te stoppen met de intensieve veehouderij en heeft zich ingeschreven voor de 'Subsidieregeling sanering varkenshouderijen' welke door de rijksoverheid in 2019 is opengesteld. Op grond van de verkregen subsidiebeschikking zal het bedrijf uiterlijk in april 2021 ophouden te bestaan en vervolgens geheel gesloopt worden.

Aansluitend aan de varkenshouderij heeft initiatiefnemer nog gronden in eigendom, welke in de praktijk gebruikt worden voor de plaatselijke tractorpulling-vereniging. Deze gronden hebben een gezamenlijke omvang van ca. 3 ha. (te bewerken) grond. Op deze gronden wordt jaarlijks een aantal tractorpulling evenementen georganiseerd. Evenementen die vooral regionale, maar ook landelijke bekendheid hebben.

Het voornemen is om van de locatie, nu aangeduid als intensieve veehouderij, een woonlocatie te maken. De gronden voor de tractorpulling behouden de bestaande agrarische bestemming, maar worden nader aangeduid als terrein voor een terugkerend evenement. Een bestaand bijgebouw op de bedrijfslocatie, dat in de praktijk geheel ten dienste staat aan de tractorpulling-vereniging en bijbehorende evenementen, wordt behouden voor dit doel en als zodanig ook aangeduid. Dit gebouw valt buiten de maatvoeringsregels voor bijgebouwen bij de woning, omdat het geheel ter dienste staat aan de tractorpulling en niet ten dienste aan de woonfunctie. Binnen de woonlocatie zal initiatiefnemer derhalve kunnen beschikken over de huidige bedrijfswoning, die wordt omgezet naar een burgerwoning, met bijbehorende bijgebouwen. De totale omvang van de bijgebouwen (exclusief gebouw tractorpulling) bedraagt in totaal 300 m².

3.5.2 Locatie

Het plangebied ligt in een gemengd agrarisch gebied op een afstand van ca. 1 km. ten zuiden van de kern Bakel en op korte afstand van de gemeentegrens met Deurne. Kadastraal is de locatie bekend als gemeente Bakel en Milheeze, sectie N, nummer 1450. Het plangebied heeft een totale omvang van 4,75 ha.

De locatie heeft de enkelbestemming 'Agrarisch – Agrarisch bedrijf' met de functieaanduiding 'intensieve veehouderij'. Binnen het bouwvlak is de exploitatie van een grondgebonden agrarisch bedrijf en tevens een intensieve veehouderij toegestaan. Het bestemmingsplan maakt het middels een wijzigingsbevoegdheid mogelijk om de bestemming 'Agrarisch - Agrarisch bedrijf' onder bepaalde voorwaarden te wijzigen in de bestemming 'Wonen' ten behoeve van een bedrijfsbeëindiging. Echter, vanwege het feit dat er ook sprake is van een wijziging ten aanzien van de omliggende gronden en bestaand bijgebouw ten behoeve van de tractorpulling, is het noodzakelijk dat de gewenste situatie planologisch-juridisch verankerd wordt middels een herziening van het bestemmingsplan.

3.5.3 Huidige situatie

Binnen het plangebied staan diverse bedrijfsgebouwen en zijn aanverwante voorzieningen aanwezig. Alle bebouwing en voorzieningen ten behoeve van de varkenshouderij worden gesloopt. Naast de bedrijfsbebouwing is sprake van de bedrijfswoning en een bestaand bijgebouw in de noord-oostelijke hoek van het bouwvlak. Dit gebouw behoort niet tot de productiecapaciteit van het bedrijf, maar staat in de praktijk geheel ter dienste aan de tractorpulling wedstrijden, die op de achterliggende landbouwgronden jaarlijks worden georganiseerd.

De locatie is gelegen in een van oudsher agrarisch gebied. Het gebied ligt ingesloten tussen meerdere dorpskernen: Bakel, Milheeze en Deurne, alsmede de buitenwijken van Helmond in het oosten. Het grondgebruik in de omgeving is hoofdzakelijk agrarisch. Rondom de locatie zijn meerdere agrarische bedrijven gevestigd, specifiek intensieve veehouderijen. Verspreid over het gebied komen meerdere burgerwoningen voor.

Het landschap is open van aard met voornamelijk beplantingsstructuren langs de wegen in de omgeving. Grootschalig groen en bossen komen in de directe omgeving van het plangebied nauwelijks voor. De locatie ligt aan de rand van een historisch akkercomplex. In de huidige situatie worden de omliggende gronden voornamelijk agrarisch gebruikt c.q. bewerkt.

afbeelding "i_NL.IMRO.1652.Buitengebied122021-ON01_0014.png"

Figuur 3.6.1 Huidige situatie plangebied (ruimtelijke onderbouwing Heidveld 4, Bakel, Bergs Advies, 2021)

3.5.4 Het plan

Initiatiefnemer wenst de varkenshouderij geheel te beëindigen en op de locatie om te schakelen naar een woonbestemming. In totaal zal 3.820 m² aan bebouwing gesloopt worden. Tevens worden de voersilo's en een mestsilo met een omvang van 153 m² van de locatie verwijderd. De bedrijfswoning en het bestaand bijgebouw t.b.v. de tractorpulling, met een oppervlakte van ca. 130 m², blijven behouden.

Na de bestemmingswijziging blijft sprake van een woonlocatie met achterliggende gronden ten behoeve van de tractorpulling. Deze gronden worden door initiatiefnemer onderhouden en daarvoor dient hij te beschikken over machines en apparatuur. In totaal zal er ruim 3 ha grasland onderhouden moeten worden. Ten behoeve van deze functie wordt een bijgebouw van maximaal 300 m² opgericht voor de stalling van het benodigd materieel.

Als gevolg van voorgenomen planontwikkeling komt het bouwvlak met de functieaanduiding 'intensieve veehouderij' te vervallen. De woning met bijbehorende (nieuwe) bijgebouw(en) wordt opgenomen binnen de nieuwe woonbestemming. Het bestaande bijgebouw dat geheel ten dienste staat aan de tractorpulling valt eveneens binnen de woonbestemming, maar telt gezien zijn functie niet mee bij de bepaling van de oppervlakte aan bijgebouwen bij de woning. De overige gronden die ter dienste staan aan de tractorpulling behouden een agrarische enkelbestemming met nadere aanduiding t.b.v. de tractorpulling.

In het kader van het planvoornemen wordt de bestemming ‘Wonen’ op maat gemaakt, waarbij sprake is van een woning met bijgebouwen. De maatvoering voor de bijgebouwen wordt gemaximeerd op 300 m², wat mede aansluit bij het gemeentelijke beleid dat overschrijding van de vaste maat van 150 m² aan bijgebouwen mogelijk maakt indien sprake is van sloop van overtollige bebouwing. De overige gronden binnen het plangebied worden ofwel blijven bestemd tot ‘Agrarisch’ met daarbinnen een nadere aanduiding voor de functie ‘tractorpulling’. Het bestaande bijgebouw dat hiertoe wordt gebruikt, wordt evenwel binnen de woonbestemming geplaatst, maar valt buiten de maximale oppervlakte-eis voor bijgebouwen bij de woning.

afbeelding "i_NL.IMRO.1652.Buitengebied122021-ON01_0015.png"

Figuur 3.6.2 Schematische weergave van de gewenste invulling binnen de locatie (ruimtelijke onderbouwing Heidveld 4, Bakel, Bergs Advies, 2021)

Het akkercomplex kenmerkt zich door het open karakter van de (bolvormige) akkers. Ter plaatse van het plangebied is sprake van een kampenlandschap. Met de sanering van de varkenshouderij wordt geen afbreuk gedaan aan de waarde van het akkercomplex, met name gezien het feit dat de locatie aan de Heidveld 4 het meest zuidelijke puntje van deze oude akker vormt. Het feit dat alle bedrijfsbebouwing zal verdwijnen heeft daarentegen bovendien een toegevoegde waarde voor de openheid in het gebied.

Met name deze openheid vormt tevens een belangrijke waarde voor initiatiefnemer bij het vormgeven van de landschappelijke inpassing van de nieuwe woonbestemming. Er is in de huidige situatie reeds veel laanbeplanting aanwezig en de locatie is met name aan de zuidzijde omgeven met volwassen bomen. Door het toevoegen van een (lage) beukenhaag rondom de nieuwe woonbestemming wenst men het zicht op het achtergelegen akkercomplex te behouden en gezien het verdwijnen van de bedrijfsbebouwing te herstellen. De gronden waar de bedrijfsgebouwen stonden, wordt voorzien van een grasland, waarmee aangesloten wordt op de functie die de overige aansluitende gronden hebben. Als overgang van de woonbestemming naar dit grasland wordt een strook met bloem- en kruidenrijk grasland aangelegd, wat een bijdrage levert aan de verbetering van de biodiversiteit.

Ten zuid-westen van de woning is een weide aanwezig, waarin een grote notenboom staat. Deze boom vormt de basis voor de aanleg van een kleinschalige boomgaard met fruitbomen. Op onderstaande afbeelding is de landschappelijke inpassing visueel weergegeven.

De omvang van de boomgaard bedraagt ca. 1.000 m², de beukenhaag bestrijkt een oppervlakte van 60 m² en het bloem- en kruidenrijk grasland, met een strook van 4 m. breed over een lengte van 115 m. heeft een omvang van 460 m². Hiermee wordt ruimschoots voldaan aan de gestelde eis van 20% voor de landschappelijke inpassing.

De kwaliteitsverbetering van het landschap wordt juridisch vastgelegd middels een ontwikkelingsovereenkomst tussen de initiatiefnemer en de gemeente. Daarnaast wordt in de regels van het bestemmingsplan een voorwaardelijke verplichting opgenomen, die de aanleg en instandhouding van de beplanting borgt. Daarmee is ook de feitelijke waarborging van de kwaliteitsverbetering van het landschap verzekerd.

afbeelding "i_NL.IMRO.1652.Buitengebied122021-ON01_0016.png"

Figuur 3.6.3 Landschappelijk inpassingsplan (ruimtelijke onderbouwing Heidveld 4, Bakel, Bergs Advies, 2021)

3.6 Kattevlaas 4, Milheeze (ontwikkeling)

3.6.1 Aanleiding en situatie

Op de locatie is de wens om een zorgboerderij te starten als neventak bij het bestaande agrarische bedrijf. Qua omvang zal het gaan om een dagbestedingslocatie voor circa 16 ouderen waarbij de doelgroep 55+'ers met een mantelzorgindicatie zijn. Doel is om hierbij "de sfeer van de boerderij" uit te stralen. De locatie aan de Kattevlaas heeft als hoofddoel om mantelzorgers te ontlasten.

In de toekomstige situatie is naar verwachting in eerste instantie 3 FTE werk en zal tevens een beroep worden gedaan op vrijwilligers. De professionele werkzaamheden zullen grotendeels worden ingevuld door de initiatiefnemers.

Op locatie zal een nieuw gebouw moeten worden opgericht. Binnen de bestaande bebouwing is onvoldoende ruimte voor het initiatief. De beoogde locatie voor het gebouw is naast de bestaande loods. Qua maatvoering is deze circa 34 meter inclusief de bestaande garage met een breedte van 14 meter.

De bebouwing wordt dusdanig geclusterd dat één geheel ontstaat. Dit is in lijn met de vroegere situatie waarin op deze locatie stallen stonden. De locatie wordt ontsloten via de Kattevlaas waarbij het doel is om cliënten in groepsritten te halen- en te brengen, zodat het aantal vervoersbewegingen beperkt kan blijven.

Het voorliggende initiatief speelt in op een maatschappelijk behoefte waarbij mantelzorgers worden ontlast en cliënten binnen "de sfeer van de boerderij" worden opgevangen.

3.6.2 Locatie

De planlocatie aan Kattevlaas 4 te Milheeze in het buitengebied van de gemeente Gemert-Bakel. De planlocatie betreft het perceel kadastraal bekend als Gemeente: Bakel en Milheeze, sectie S nummer 312.

De bedrijfslocatie is gelegen binnen het bestemmingsplan "Gemert-Bakel Buitengebied 2017'', vastgesteld 2018-07-05. In het vigerend bestemmingsplan heeft de locatie de enkelbestemming Agrarisch - Agrarisch bedrijf. Er is feitelijk sprake van een akkerbouwbedrijf. In het verleden werden ook varkens gehouden.

afbeelding "i_NL.IMRO.1652.Buitengebied122021-ON01_0017.png" 

Figuur 3.7.1 Geografische ligging planlocatie (Ruimtelijke onderbouwing Kattevlaas 4, Milheeze, Roba Advies, 2021)

3.6.3 Huidige situatie

Het plangebied is gelegen aan de Kattevlaas 4 te Milheeze. Het betreft een akkerbouwbedrijf. In het verleden werden vleesvarkens gehouden, maar deze tak is in het verleden reeds beëindigd. De stallen zijn destijds afgebroken.

3.6.4 Het plan

In de beoogde situatie wordt aan het bestaande bouwvlak de functieaanduiding 'zorgboerderij' toegevoegd. Ter plaatse van de aanduiding 'specifieke vorm van agrarisch – zorgboerderij' worden de bedrijfsactiviteiten ontplooit. Ter plaatse van die aanduiding wordt ook het gebouw voor de zorgboerderij gerealiseerd. Daarnaast wordt er een moestuin aangelegd waarin cliënten (een deel van) de dagbesteding kunnen doorbrengen.

De agrarische functie van de locatie komt niet te vervallen, de huidige bedrijfswoning en bedrijfsgebouwen van het agrarisch bedrijf blijven onverminderd agrarisch in gebruik.

Het bedrijf beschikt over eigen inritten. Dit blijft ongewijzigd. Iedere oprit heeft zijn eigen functie. Er is gekeken om de inrit aan de Hutsenbergweg te laten vervallen. Dit is onmogelijk gebleken. Er dient dan landbouwverkeer door een van de twee andere opritten te rijden. Deze opritten zijn hier niet op toegerekend. Voor het het vervoeren van cliënten, zal wel enkel de oprit naar de woning Kattevlaas 4 worden gebuikt. De inrit aan de Hutsebergweg zal worden afgesloten middels een hek en daarmee alleen gebruikt worden voor landbouwdoeleinden.

De nieuw op te richten bebouwing zal aansluitend worden gebouwd aan de bestaande kop van de garage en zal voldoen aan het beeldkwaliteitplan voor het buitengebied.

afbeelding "i_NL.IMRO.1652.Buitengebied122021-ON01_0018.png"

Figuur 3.7.2 Situatieschets op luchtfoto (Ruimtelijke onderbouwing Kattevlaas 4, Milheeze, Roba Advies, 2021)

Om te zorgen voor een goede landschappelijke inpassing van het nieuw te bouwen bijgebouw, zijn op de kavel al landschapsbomen, knotbomen, bomenrijen en (hoogstam)fruitbomen aangeplant. Deze landschapselementen zorgen voor voedsel, veiligheid en voortplantingsmogelijkheden voor diverse soorten fauna en voor de landschappelijke inpassing van de diverse bebouwingen op de kavel.

Het nieuw te bouwen bijgebouw en de bestaande bebouwing (woonhuizen en bijgebouwen) dienen goed landschappelijk ingepast te worden. Deels wordt hieraan al voldaan door de aanwezige landschapselementen op de kavel. Voor de geplande ruimtelijke ontwikkeling dient 20% van het bouwvlak te voldoen aan beplanting/ landschapselementen op de kavel. De ontwikkeling betreft hier categorie 1, voortkomend uit de handreiking 'Kwaliteitsverbetering van het landschap, Gemert-Bakel'.

Het bestaande inrichtingsplan gaat uit van een groene inpassing van de kavel en bebouwing met landschapsbomen, knotbomen, en (hoogstam)fruitbomen. IN het kader van het planvoornemen wordt het inrichtingsplan aangevuld met de aanplant van 6 landschapsbomen (haagbeuk), 10 hoogstamfruitbomen (kers, appel, peer, pruim) en enkele knip- en scheerhagen.

afbeelding "i_NL.IMRO.1652.Buitengebied122021-ON01_0019.png"

Figuur 3.7.3 Landschappelijk inpassingsplan (Landschappelijk inpassingsplan Kattevlaas 4, Milheeze, BNL advies, 2021)

3.7 Kuundertseheide 1, Bakel (ontwikkeling)

3.7.1 Aanleiding en situatie

Op de locatie Kuundertseheide 1 te Bakel is een varkenshouderij en akkerbouwbedrijf gevestigd. In het kader van de ‘Subsidieregeling sanering varkenshouderijen’ (Srv) wordt de varkenshouderij beëindigd. De initiatiefnemer is voornemens de varkenshouderij te beëindigen en zich geheel te gaan toeleggen op de akkerbouwactiviteiten. Na de sloop van de varkensstallen wil hij ten behoeve van deze akkerbouwactiviteiten de bestaande loodsen uitbreiden. Daarnaast is initiatiefnemer voornemens een kleine niet-agrarische neventak op te zetten in de bestaande werkplaats ten behoeve van de reparatie en ontwikkeling van machines.

De huidige agrarische bestemming blijft gehandhaafd, maar de functieaanduiding ‘intensieve veehouderij’ dient te worden verwijderd. Voor de neventak dient een functieaanduiding te worden toegevoegd. Daarnaast wordt het huidige bestemmingsvlak verkleind tot 8.500 m².

3.7.2 Locatie

Het plangebied is gelegen aan de Kuundertseheide1 te Bakel, op een afstand van circa 650 meter van de kern van Bakel. Het perceel staat kadastraal bekend als gemeente Bakel en Milheeze, sectie N, nummer 1579.

Ten noordoosten van het plangebied ligt de provinciale weg (N604). Aan de westzijde wordt het begrensd door de weg Kuundertseheide. Het bedrijf wordt omringd door landbouwgronden en agrarische bedrijven. Aan de zuidzijde grenst het bedrijf aan een bosperceel.

afbeelding "i_NL.IMRO.1652.Buitengebied122021-ON01_0020.png"

Figuur 3.8.1 Ligging plangebied op topografische kaart (ruimtelijke onderbouwing Kuundertseheide 1 Bakel, Agron Advies, 2021)

3.7.3 Huidige situatie

Binnen het plangebied is een varkenshouderij aanwezig. De initiatiefnemer beëindigt de varkenshouderij in het kader van de ‘Subsidieregeling sanering varkenshouderijen’ (Srv). Op het perceel staat een bedrijfswoning en privéwerkplaats. Achter de woning staan een aantal varkensstallen en loodsen ten behoeve van de stalling van materiaal en materieel voor het akkerbouwbedrijf.

Op de locatie is het bestemmingsplan ‘Gemert-Bakel Buitengebied 2017’ (vastgesteld op 5 juli 2018) van toepassing. Hierin heeft de locatie de enkelbestemming ‘Agrarisch – Agrarisch bedrijf’ met de functieaanduiding ‘intensieve veehouderij’. Het bestemmingsvlak heeft een oppervlakte van 1,5 hectare. Daarnaast is de dubbelbestemming ‘Waarde – Archeologie 5’ van toepassing. Op een gedeelte van het agrarisch bestemmingsvlak geldt de gebiedsaanduiding ‘luchtvaartverkeerzone – funnel’. De gronden zijn bestemd voor het uitoefenen van een agrarisch bedrijf.

afbeelding "i_NL.IMRO.1652.Buitengebied122021-ON01_0021.png"

Figuur 3.8.2 Bestaande situatie (ruimtelijke onderbouwing Kuundertseheide 1 Bakel, Agron Advies, 2021)

3.7.4 Het plan

De initiatiefnemer is voornemens de varkenshouderij te beëindigen en zich geheel te gaan toeleggen op de akkerbouwactiviteiten. Na de sloop van de varkensstallen wil hij ten behoeve van de akkerbouwactiviteiten, de bestaande loodsen uitbreiden. De nieuwe loodsen worden tegen de te handhaven bedrijfsbebouwing gebouwd rekening houdend met de visuele samenhang tussen de bestaande bouw en de nieuwbouw. Hiertoe wil initiatiefnemer een deel van de materialen die vrijkomen bij de te slopen stallen hergebruiken. Een gedeelte van een varkensstal zal niet gesloopt worden. Het gedeelte dat nu als hygiënesluis wordt gebruikt, zal in de toekomst gebruikt gaan worden als privégarage en privéopslag.

Verder is initiatiefnemer voornemens om een mestsilo te plaatsen om mest (dunne fractie van gescheiden mest) van andere bedrijven aan te voeren en op te slaan door het jaar heen. Hierdoor heeft hij de mogelijkheid om aan het begin van het seizoen de mest uit te rijden zonder afhankelijk te zijn van derden. Op zijn gronden (circa 18 ha) kan hij ongeveer 600 m3 aan mest op jaarbasis uitrijden. Derhalve is een opslag van 500 m3 gewenst.

Binnen het plan is tevens de realisatie van een tweetal sleufsilo’s beoogd. Afhankelijk van het bouwplan en eventuele uitbreiding door middel van huurgrond is er behoefte aan opslag en verwerking van akkerbouwproducten zowel in de loodsen (uien, aardappelen) als de opslag in sleufsilo’s (Corn Cob Mix (CCM), snijmais), dit laatste vanwege de afzet van dit materiaal op afroep door het jaar heen. Er is een behoefte aan opslag in sleufsilo’s van ongeveer 600 m3. Daarin wordt voorzien door de aanleg van twee sleufsilo’s (afmetingen 8x30 meter).

Ten slotte is de initiatiefnemer voornemens het gedeelte van de bedrijfsbebouwing dat hij in de huidige situatie reeds gebruikt als werkplaats te handhaven ten behoeve van niet-agrarische nevenactiviteiten als reparatie van machines en het ontwikkelen van nieuwe machines voor onder andere de agrarische sector. De oppervlakte hiervan bedraagt circa 160 m2. Deze activiteiten zijn zeer kleinschalig van aard. De werkzaamheden worden door initiatiefnemer zelf uitgevoerd en zijn complementair aan de agrarische hoofdactiviteiten.

Conform de regels van het bestemmingsplan en ‘compact erf’ wordt de locatie als een compacte cluster ingericht. De locatie wordt volgens het gemeentelijk beeldkwaliteitsplan landschappelijk ingepast.

afbeelding "i_NL.IMRO.1652.Buitengebied122021-ON01_0022.png"

Figuur 3.8.3 Situatieschets beoogde situatie (ruimtelijke onderbouwing Kuundertseheide 1 Bakel, Agron Advies, 2021)

De huidige agrarische bestemming blijft gehandhaafd, maar de functieaanduiding ‘intensieve veehouderij’ dient te worden verwijderd. Daarnaast wordt het huidige bestemmingsvlak verkleind tot 8.500 m². De ontwikkelingen zijn in strijd met het vigerend bestemmingsplan. In het bestemmingsplan zijn wijzigingsbevoegdheden opgenomen voor het verwijderen van de aanduiding ‘intensieve veehouderij’ (artikel 4.8.10) en voor verkleining van het bestemmingsvlak ‘Agrarisch – Agrarisch bedrijf’ (artikel 4.8.2). Het huidige bestemmingsplan voorziet niet in de mogelijkheid om bij een agrarische bestemming een functie-aanduiding ten behoeve van niet-agrarische nevenactiviteiten op te nemen. Ten behoeve van de niet agrarische nevenactiviteit wordt dan ook een specifieke aanduiding opgenomen. Hiertoe moet het bestemmingsplan worden herzien.

Op basis van de handreiking kwaliteitsverbetering van het landschap gemeente Gemert-Bakel dient 20% van de beoogde omvang van het bestemmingsvlak aan landschappelijke inpassing te worden gerealiseerd. Het initiatief betreft een categorie 2 ontwikkeling (Ruimtelijke ontwikkelingen waarbij een investering in de kwaliteitsverbetering van het landschap wordt verlangd’), omdat het bouwvlak van vorm wordt veranderd. Dit betekent dat een basisinspanning is vereist bestaande uit een landschappelijke inpassing met een omvang van 20% van de omvang van het bestemmingsvlak waarbij de landschappelijke inpassing dient te voldoen aan het beeldkwaliteitsplan. Daarnaast is bij een categorie 2 ontwikkeling een aanvullende kwaliteitsverbetering van het landschap vereist. Dit houdt in dat 20% van de waardevermeerdering van de gronden dient te worden geïnvesteerd in de kwaliteitsverbetering van het landschap. Echter doordat in onderhavig initiatief het bestemmingsvlak wordt verkleind betekent dit dat sprake is van een waardevermindering van de gronden en is geen extra investering ten behoeve van de kwaliteitsverbetering van het landschap noodzakelijk. De basisinspanning blijft wel vereist. Voor onderhavige ontwikkeling betekent dit dat een oppervlakte van 1.700 m² dient te zijn ingeplant.

afbeelding "i_NL.IMRO.1652.Buitengebied122021-ON01_0023.png"

Figuur 3.8.4 Uitsnede landschappelijk inpassingsplan (ruimtelijke onderbouwing Kuundertseheide 1 Bakel, Agron Advies, 2021)

3.8 Weijer 2, Milheeze (herstelwijziging)

3.8.1 Aanleiding en situatie

De heemkundekring Bakel en Milheeze heeft een aanvraag ingediend om het wehrmachtshuisje aan de Weijer 2 in Milheeze aan te wijzen als gemeentelijk monument. Het wehrmachtshuisje is tijdens de Tweede Wereldoorlog geplaatst door de bezetter (1941). In die tijd stonden er vele in de gemeente Gemert-Bakel. Het exemplaar in Milheeze is daarvan als enige overgebleven.

3.8.2 Locatie

Ten oosten van het dorp Milheeze staat het wehrmachthuisje, een klein huisje gebouwd in de Tweede Wereldoorlog. Het wehrmachthuisje ligt aan de Weijer, ter hoogte van de kruising met de Peeldijk, in een agrarisch gebied met een aantal boerderijen. De Weijer leidt van Milheeze richting De Rips.

 afbeelding "i_NL.IMRO.1652.Buitengebied122021-ON01_0024.png"

Figuur 3.9.1 Locatie wehrmachtshuisje (Redengevende omschrijving met waardestelling Weijer 2 te Milheeze, Monumentenhuis Brabant, 2021)

3.8.3 Redengevende omschrijving

Uit de opgestelde redengevende omschrijving met waardestelling blijkt dat het wehrmachtshuisje hoge cultuurhistorische waarde bezit vanwege zijn functie als onderkomen voor de Duitse soldaten en bijzondere herinneringswaarde vanwege de uitdrukking van de bezetting van het Duitse leger in de Tweede Wereldoorlog. Het object kent enige architectuurhistorische waarde vanwege de herkenbare typologie van een wehrmachtshuisje. Weijer 2 is van situationele betekenis vanwege de situering op een kruising, van de Weijer en de Peeldijk, en als onderdeel van het ensemble van de Kammhuberlinie. Daarnaast is de hoofdvorm van het wehrmachtshuisje herkenbaar gebleven, maar enigszins aangetast door de aanbouw aan de achtergevel. Ten slotte is er sprake van zeldzaamheidswaarde op gemeentelijk niveau als voorbeeld van een wehrmachthuisje, kenmerkend voor de Kammhuberlinie uit de Tweede Wereldoorlog en als enig overgebleven wehrmachtshuisje in de gemeente Gemert-Bakel.

De monumentencommissie vindt het wehrmachtshuisje een bijzonder object. Het is nog vrij gaaf. De commissie kan zich vinden in de redengevende omschrijving en waardering. Deze geeft voldoende motivatie voor aanwijzing. De commissie heeft positief geadviseerd over aanwijzing van dit object als gemeentelijk monument.

In een vooroverleg is er door de eigenaren positief gereageerd op de aanwijzing van het wehrmachtshuisje als gemeentelijk monument.

Op basis van bovenstaande is het wehrmachtshuisje op 15 juni 2021 aangewezen als gemeentelijk monument.

afbeelding "i_NL.IMRO.1652.Buitengebied122021-ON01_0025.png"

Figuur 3.9.2 Foto straatzijde wehrmachtshuisje (Redengevende omschrijving met waardestelling Weijer 2 te Milheeze, Monumentenhuis Brabant, 2021)

3.8.4 Planherziening

Om de aanwijzing rechtsgeldig te laten zijn, is vaststelling van de gemeentelijke monumentenlijst met het nieuwe gemeentelijke monument en de publicatie hiervan noodzakelijk. De monumentenlijst wordt sinds 2006 in alle bestemmingsplannen geïmplementeerd. Voorheen werd de monumentenlijst enkel als bijlage toegevoegd aan het bestemmingsplan, waardoor deze geen juridische status had. Bij de vaststelling van het bestemmingsplan Buitengebied 2017 heeft de gemeente, in het kader van klantgerichtheid en duidelijkheid, ervoor gekozen om de monumenten en beeldbepalende panden als aanduiding op te nemen in het bestemmingsplan.

Nu het wehrmachtshuisje is aangewezen als gemeentelijk monument, moet dit ook in het bestemmingsplan Buitengebied 2017 verwerkt worden. Dit betekent dat aan de gronden met het wehrmachtshuisje de 'specifieke bouwaanduiding - gemeentelijk monument' wordt toegevoegd en dat de geactualiseerde monumentenlijst wordt opgenomen.

Hoofdstuk 4 Economische haalbaarheid

4.1 Exploitatieplan

Hoofdstuk 5 van de Wro bevat een aantal financiële bepalingen, waaronder een regeling voor grondexploitatie ( afdeling 6.4 Wro) en een regeling voor tegemoetkoming in planschade ( afdeling 6.1 Wro).

In afdeling 6.4. zijn de mogelijkheden aangegeven die een gemeente heeft om kosten te verhalen en om eisen te stellen met betrekking tot de inrichting, kwaliteit en uitvoerbaarheid van bouwlocaties. In artikel 6.12 is bepaald dat bij de vaststelling van verschillende gemeentelijke plannen die mogelijkheden bieden voor het ontwikkelen van bepaalde in het Besluit ruimtelijke ordening aangewezen bouwplannen, tevens een exploitatieplan wordt vastgesteld op grond waarvan de gemeente de kosten van grondexploitatie kan verhalen. Dit is een verplichting die geldt voor bestemmingsplannen, wijzigingsplannen en beheersverordeningen. Artikel 6.2.1. van het Besluit ruimtelijke ordening bevat een opsomming van de bouwplannen waarvoor een exploitatieplan in principe verplicht is. Er zijn nogal wat bouwplannen waarvoor dit geldt:

  • de bouw van een of meer woningen
  • de bouw van een of meer andere hoofdgebouwen
  • de uitbreiding van een gebouw met tenminste 1000m² of met een of meer woningen
  • de verbouwing van een of meer aaneengesloten gebouwen die voor andere doeleinden in gebruik of ingericht waren, voor detailhandel, dienstverlening, kantoor of horecadoeleinden, mits de cumulatieve oppervlakte van de nieuwe functies tenminste 1000m² bedraagt
  • de bouw van kassen met een oppervlakte van tenminste 1000m²


Het onderhavige bestemmingsplan biedt mogelijkheden voor bouwplannen die in deze opsomming zijn genoemd. In principe dient er dus een exploitatieplan te worden vastgesteld. Echter voor de diverse plannen wordt met de eigenaren een exploitatieovereenkomst gesloten waarin de gemeentelijke kosten zullen worden verankerd. De kosten zijn dus anderszins verzekerd en hierdoor is een exploitatieplan niet vereist bij het bestemmingsplan.


Het bestemmingsplan kent ook enkele afwijkings- en wijzigingsmogelijkheden. Als hiervoor een aanvraag wordt ingediend, is dat een particulier initiatief dat geheel voor rekening komt van de aanvrager en waaraan voor de gemeente geen kosten zijn verbonden. De ambtelijke kosten zijn verdisconteerd in de leges. Als er onverhoopt toch andere kosten zijn, dan dient ter zake een exploitatieovereenkomst te worden afgesloten voordat de afwijkings- of wijzigingsprocedure wordt gestart. Het kostenverhaal is dus ook hier anderszins verzekerd.

4.2 Planschade

Daar waar nieuwe ontwikkelingen middels dit bestemmingsplan worden mogelijk gemaakt, is er een risico op planschade. Als het een particulier initiatief betreft dan zal dit risico en de kosten die daarmee gemoeid zijn, verhaald worden op de initiatiefnemer. Hiervoor wordt voor elk particulier initiatief een planschadeovereenkomst afgesloten.

Hoofdstuk 5 Overleg, zienswijzen, ambtshalve aanpassingen

5.1 Omgevingsdialoog

Nogal wat zienswijzen komen voort uit het feit dat een planontwikkeling niet met de buren is besproken. De gemeente raadt een initiatiefnemer dan ook dringend aan om zijn/ haar planinitiatief in een vroeg stadium te bespreken met de eigenaren van de omliggende percelen. Daartoe heeft de gemeente Gemert-Bakel de 'spelregels voor het voeren van een zorgvuldige dialoog' vastgesteld. Hiermee dient de initiatiefnemer de direct omwonenden/belanghebbenden te informeren over de voorgenomen planontwikkeling. Onderstaand een korte weerslag van de voor de diverse ontwikkelingen gevoerde omgevingsdailogen.

Berken/Fransenhof

De initiatiefnemer heeft het voornemen kenbaar gemaakt aan de omwonenden en hen op de hoogte gesteld van de plannen. Het plan is tevens deels aangepast naar aanleiding van de resultaten van de dialoog.

De Wind 7

Ten behoeve van de ontwikkeling is een zorgvuldige dialoog gevoerd. Uit deze gevoerde dialoog blijkt dat de omwonenden geen bezwaren hebben tegen de ontwikkeling.

Esdonk 45

Ten behoeve van de ontwikkeling is een zorgvuldige dialoog gevoerd. Uit deze gevoerde dialoog blijkt dat de omwonenden geen bezwaren hebben tegen de ontwikkeling.

EVZ Esperloop Geneneind-Neerstraat

Er is geen omgevingsdialoog uitgevoerd, er zijn geen direct omwonenden, enkel Neerstraat 10 ligt in de directe omgeving, maar de bewoners van dit adres zijn betrokken bij de planvorming.

Heidveld 4

Ten behoeve van de ontwikkeling is een zorgvuldige dialoog gevoerd. Uit deze gevoerde dialoog blijkt dat de omwonenden geen bezwaren hebben tegen de ontwikkeling.

Kattevlaas 4

Ten behoeve van de ontwikkeling is een zorgvuldige dialoog gevoerd. Uit deze gevoerde dialoog blijkt dat de omwonenden geen bezwaren hebben tegen de ontwikkeling.

Kuundertseheide 1

De initiatiefnemer heeft de omwonenden op de hoogte gesteld van de plannen middels het voeren van een zorgvuldige omgevingsdialoog. Daarbij is van geen bezwaren tegen de ontwikkeling gebleken.

5.2 Vooroverleg

5.2.1 Provincie Noord-Brabant

Op 15 november 2021 is in het kader van het wettelijk vooroverleg een reactie ontvangen van de provincie Noord-Brabant op het voorontwerp bestemmingsplan. Hierin wordt enkel ingegaan op onderwerpen die vanuit het provinciaal ruimtelijk beleid relevant zijn. Het provinciaal ruimtelijk beleid is vastgelegd in de Brabantse Omgevingsvisie. De te beschermen provinciaal ruimtelijke belangen zijn vertaald in de Interim omgevingsverordening Noord-Brabant (IOV) die op 5 november 2019 in werking is getreden. De reactie van de provincie is op deze documenten gebaseerd. Per locatie gelden verschillende werkingsgebieden en naar gelang de aard van de ontwikkeling zijn verschillende bepalingen uit de IOV van toepassing. Per deellocatie volgen hierna inhoudelijke opmerkingen.

Reacties vooroverleg

  • 1. Berken/Fransenhof, Milheeze

Kwaliteitsverbetering landschap

In verband met de kwaliteitsverbetering van het landschap wordt opgemerkt dat het goed voorstelbaar is dat gelet op de aard van de ontwikkeling geen sprake is van waardevermeerdering. In de onderbouwing ontbreekt echter een nadere uitwerking van de ontwikkeling aan de hand van de gemeentelijke regeling voor kwaliteitsverbetering. Verzocht wordt de kwaliteitsverbetering van het landschap nader te onderbouwen en uit te werken.

Reactie:

De berekening in het kader van de kwaliteitsinvestering van het landschap is uitgevoerd. Hierin is alleen de wijziging van de bestemming 'Agrarisch – Agrarisch bedrijf' in 'Wonen' meegenomen en zijn de Ruimte-voor-ruimtewoningen buiten beschouwing gelaten. In totaal is er in de beoogde situatie sprake van een waardevermeerdering van € 1.100,-. De investering heeft op basis hiervan een hoogte van € 220,-. Er wordt geïnvesteerd in de kwaliteitsverbetering van het landschap door de sloop van de pluimveestallen (1.230 m²); de hoogte van deze investeringskosten bedraagt € 30.750,-. Daarmee wordt ruimschoots voldaan aan de minimaal vereiste basisinspanning.

Ruimte voor ruimte

Er worden twee ruimte voor ruimte woningen beoogd. Wij merken met het oog op artikel 3.80, lid 1, sub a IOV op dat sprake dient te zijn van een aanzienlijke winst van de omgevingskwaliteit. De nadere onderbouwing dan wel bewijsstukken ontbreken hiervan.

Reactie:

De Ruimte-voor-ruimtetitels worden vóór vaststelling van het bestemmingsplan toegevoegd aan de stukken. De initiatiefnemer is in gesprek met de Ontwikkelingsmaatschappij Ruimte voor Ruimte van de provincie over de aankoop van de titels; het proces hiertoe is in gang gezet. De certificaten worden bijtijds toegevoegd aan de stukken van het bestemmingsplan.

  • 2. De Wind 7, Gemert

Kwaliteitsverbetering van het landschap

Ook voor deze ontwikkeling ontbreekt een nadere uiteenzetting van de kwaliteitsverbetering van het landschap, waarbij via een berekening wordt aangetoond of al dan niet sprake is van een waardevermeerdering en hoe hiermee wordt omgegaan.

Reactie

De berekening in het kader van de kwaliteitsinvestering van het landschap is uitgevoerd. Hierin is alleen de wijziging met betrekking tot de bestemming 'Agrarisch – Agrarisch bedrijf' meegenomen en zijn de Ruimte-voor-ruimtewoningen buiten beschouwing gelaten. In totaal is er in de beoogde situatie sprake van een waardevermindering van € 261.300,-. Een investering is niet aan de orde. Enkel het uitvoeren van landschappelijke inpassing is voldoende. Hiertoe is een landschappelijk inpassingsplan opgesteld.

Ruimte van ruimte

De provincie is er niet van overtuigd dat de ontwikkeling van de ruimte voor ruimte woningen in een bebouwingsconcentratie plaatsvindt. De beoogde locatie voor de ruimte voor ruimte woningen maakt geen onderdeel uit van eerder door de gemeente aangegeven bebouwingsconcentraties. De provincie is van mening dat de locatie solitair in het buitengebied is gelegen en geen onderdeel uitmaakt van meer bebouwing in de directe omgeving.

De provincie is daarbij van oordeel dat de toevoeging van 3 ruimte voor ruimte woningen in de vorm van een soort knooperf en in tweede lijnsbebouwing in verhouding erg zwaar is en acht vooralsnog de ontwikkeling niet in lijn met de IOV.

Er worden drie ruimte voor ruimte woningen beoogd. Ook hier merken wij met het oog op artikel 3.80, lid 1, sub a IOV op dat sprake dient te zijn van een aanzienlijke winst van de omgevingskwaliteit. De nadere onderbouwing dan wel bewijsstukken ontbreken hiervan.

Reactie:

Op 9 juli 2015 is het bestemmingsplan Gemert-Bakel Buitengebied, herziening april 2015 vastgesteld. Onderdeel van dit plan is de realisering van een Ruimte voor Ruimtewoning op de locatie De Wind 16. De betreffende woning is inmiddels gebouwd en ligt op circa 225 m ten westen van het plangebied De Wind 7. In het kader van de planvorming voor deze woning is destijds een studie verricht om de vraag te beantwoorden of aan De Wind wel of geen bebouwingscluster is gelegen (Bijlage 2 Onderbouwing bebouwingscluster). Destijds is die vraag positief beantwoord, resulterend in de toekenning van een Ruimte voor Ruimte woning op de locatie De Wind 16. In de betreffende studie wordt ook aangegeven dat in het verleden aan De Wind een doorlopende bebouwingscluster was gelegen (in oost-west richting), waarvan ook de locatie De Wind 7 deel uitmaakte. In een later stadium is enige tussenliggende bebouwing verdwenen, waardoor de ligging van de locatie De Wind 7 meer solitair is geworden. Echter wordt in de studie ook geconcludeerd dat 'het oorspronkelijke lint in ere wordt hersteld door op enige afstand van de historische kruising een karakteristiek vormgegeven en ingedeeld erf terug te brengen (de woning De Wind 16). Dit erf smeedt de twee helften van het oorspronkelijke lint aaneen en maakt dat er duidelijker sprake is van een bebouwingsconcentratie. Gezien de historische kaart van 1930 is het zelfs denkbaar om nog een tweede erf terug te brengen. Met het plangebied De Wind 7 wordt hieraan invulling gegeven.

De ontwikkeling betreft een boerenerf met 3 ruimte voor ruimte woningen, door een boomgaard gescheiden van De Wind 7. De ontwikkeling wordt met 1 boerderijwoning typologie direct georiënteerd aan De Wind, daarachter 2 schuurwoning typologieën, alle 3 ontsloten via 1, vanaf De Wind, toegankelijk pad. Door toepassing van dit thema van compact erf, conform het beeldkwaliteitsplan buitengebied, wordt aangesloten bij de gebiedskarakteristiek. Het bestaande landschappelijke cluster (beplantingen rondom voormalige stallen) krijgt door de nieuwe invulling en transparantie een nieuwe impuls binnen het gehucht. De bebouwing versterkt de landschapskamer en zichtlijnen naar achterliggend gebied.

De definitieve bewijsstukken voor de ruimte-voor-ruimte woningen worden bij de vaststelling van het bestemmingsplan door initiatiefnemer overlegd.

  • 3. Esdonk 45, Gemert

Kwaliteitsverbetering van het landschap

Ook voor deze ontwikkeling ontbreekt een nadere uiteenzetting van de kwaliteitsverbetering van het landschap, waarbij via een berekening wordt aangetoond of al dan niet sprake is van een waardevermeerdering en hoe hiermee wordt omgegaan. In dit bijzondere geval is wat ons betreft voor de uiteenzetting en berekening van de kwaliteitsverbetering van het landschap de omzetting van agrarisch naar wonen in de eindsituatie het uitgangspunt.Op basis van de inrichtingsschets van de landschappelijke inpassing is niet duidelijk te zien welke elementen bijdragen aan het versterken van het landschap. Veel elementen zijn reeds bestaand, andere maken deel uit van de inrichting van het perceel.

Reactie

De berekening in het kader van de kwaliteitsinvestering van het landschap is uitgevoerd. Hierin is alleen de wijziging met betrekking tot de bestemming 'Agrarisch – Agrarisch bedrijf' meegenomen en zijn de ruimte voor ruimtewoningen buiten beschouwing gelaten. In totaal is er in de beoogde situatie in eerste instantie sprake van een waardevermindering van € 13.125,-. Een investering is niet aan de orde. Enkel het uitvoeren van landschappelijke inpassing is voldoende. Hiertoe is een landschappelijk inpassingsplan opgesteld. In tweede instantie (na beëindiging voorlopige bestemming en omzetting in burgerwoning) is sprake van een waardevermeerdering van € 41.400,-. Een investering van € 8.280,- (20%) is aan de orde. Hierin wordt voorzien door het slopen van het gebouw aan de overzijde van de weg en het verwijderen van een mestzak en verharding.

  • 4. EVZ Esperloop Geneneind-Neerstraat, Bakel

Het amoveren van de houtwal heeft in de ogen van de provincie een negatief effect op de landschappelijke kwaliteiten in het gebied. De provincie verzoekt daarom nader te onderbouwen waarom de houtwal dient te worden verwijderd en mede gelet op de ligging in de groenblauwe mantel, te onderbouwen hoe het plan per saldo positief bijdraagt aan de ontwikkeling van de ecologische en landschappelijke waarden en kenmerken.

Reactie:

Het waterschap heeft 24 augustus 2020 een 'Melding Wet natuurbescherming – velling houtopstand' gedaan bij de provincie voor de kap en herplant van de houtwal ter plaatse van de EVZ. De melding is voorzien van een toelichting, waarin het volgende wordt aangegeven:

'Met de geplande inrichting van de Esperloop worden 57 stuks bestaande bomen gekapt in een houtsingel. De herplant van deze 57 bomen wordt uitgevoerd binnen het nieuw in te richten tracé van de EVZ Esperloop. Daarnaast worden een aantal extra bomen aangeplant. Dit is ter bevordering van de landschappelijke en ecologische waarden van de EVZ Esperloop. Nabij het KPJ-terrein komt een bomenrij van circa 13 stuks om de ligging van de Peelrandbreuk te accentueren. Parallel met de Esperloop en op een aantal plaatsen haaks op de beek wordt bosplantsoen aangeplant, met als doel de landschappelijke en ecologische waarden te verhogen.'

De Omgevingsdienst Brabant Noord heeft namens de provincie deze melding geaccepteerd en de houtwal is inmiddels ook gekapt.

Het plan voor de aanleg van de betreffende ecologische verbindingszone heeft juist als doel de ecologische en landschappelijke waarden te verbeteren. Per saldo draagt het plan daar naar de mening van de gemeente zeker aan bij.

  • 5. Fuik 25, 27 en 33, Handel

Omgevingskwaliteit

De locatie is gelegen in een omgeving met meerdere historisch gegroeide situaties van niet-agrarische functies en intensieve bebouwing. Hierdoor heeft het gebied, inclusief voorliggende planlocatie de uitstraling van een bedrijventerrein dat onjuist gelegen is in het Landelijk gebied. Het betreft veelal situaties die zich niet verhouden met het vigerende bestemminsplan. Met dit planonderdeel wordt de feitelijke situatie bestemd, waarbij gelegenheid wordt geboden tot nieuwbouw van de bedrijfsgebouwen. Deze bedrijfsgebouwen zijn dusdanig van omvang dat dit het bedrijventerreinkarakter alleen maar meer benadrukt. Dit planonderdeel verhoudt zich daarmee slecht tot een goede omgevingskwaliteit.

Ontwikkelingsrichting van het gebied

De feitelijke situatie van de planlocatie en het omliggende gebied vraagt om een actuele visie op de ontwikkeling van dit gebied. Te meer daar meerdere planinitiatieven in hetzelfde gebied, weliswaar in een meer premature planfase, worden overwogen. In de Toelichting van het plan wordt verwezen naar een visie uit 2014. Aan deze visie is verder geen uitvoering gegeven en onduidelijk is wat de status is van de visie en of de betreffende visie uitgangspunt is voor de gehele ontwikkeling van het gebiedje De Fuik. Bovendien zou op basis van de betreffende visie de conclusie moeten worden getrokken dat de bebouwing zich (kleinschaliger) aan de weg De Fuik concentreert. Al met al adviseert de provincie deze locatie niet in dit veegplan op te nemen. En de Fuik 25, 27 en 33 in samenhang met de gebiedsontwikkeling van de Fuik als geheel te beoordelen.

Reactie:

Het plan zal aangepast moeten worden, zodat het voldoet aan de Interim Omgevingsverordening. Dat betekent in ieder geval dat het bestemmingsvlak en de bebouwingsmogelijkheid verkleind moeten worden. De gemeente wil hierover eerst nog in overleg treden met de provincie. Hiervoor is tijd nodig. Deze tijd is er in de procedure van voorliggend plan niet. Derhalve is de locatie Fuik 25, 27 en 33 niet langer in het bestemmingsplan opgenomen.

  • 6. Heidveld 4, Bakel

In verband met het principe van zorgvuldig ruimtegebruik worden gebouwen, bijbehorende bouwwerken en permanente voorzieningen geconcentreerd binnen een bouwperceel. Het valt op dat het bestaande bijgebouw ten behoeve van de nevenfunctie buiten het bouwvlak wordt gelaten. Dit verhoudt zich niet met het principe van zorgvuldig ruimtegebruik en geeft rechtsonzekerheid. De provincie verzoekt dit nader te motiveren dan wel aan te passen. Voor het overige geeft dit planonderdeel de provincie geen aanleiding tot het maken van opmerkingen.

Reactie:

Het bestaande bijgebouw, dat geheel ten dienste staat aan de tractorpulling, wordt eveneens binnen de woonbestemming en het daarbinnen gelegen bouwvlak gebracht. Daarmee ontstaat een logischer vormgegeven en begrensd bouwperceel ,met daarbinnen alle bebouwing geconcentreerd. Echter telt dit bijgebouw gezien zijn functie niet mee bij de bepaling van de oppervlakte aan bijgebouwen bij de woning. Door middel van een specifieke aanduiding wordt dit in de regeling vastgelegd. De overige gronden die ter dienste staan aan de tractorpulling behouden een agrarische enkelbestemming met nadere aanduiding ten behoeve van de tractorpulling.

  • 7. Kattevlaas 4, Milheeze

Dit planonderdeel geeft de provincie vanuit de provinciaal ruimtelijke belangen geen aanleiding tot het maken van opmerkingen.

De opmerking vraagt geen reactie.

  • 8. Kuundertseheide 1, Bakel

In relatie tot dit planonderdeel merkt de provincie enkel op dat mestbewerking explicieter in de Regels van het plan dient te worden uitgesloten. Bovendien verzoekt de provincie om in de Regels het volgende te borgen:

    • 1. ondernemer mag de mestopslag enkel gebruiken voor de opslag van aangevoerde dunne fractie ten behoeve van het gebruik van deze meststoffen op het eigen bedrijf;
    • 2. mestopslag mag niet aan derden ter beschikking gesteld worden of verhuurd worden.

Reactie:

De gevraagde aanvullende regeling wordt in de Regels verwerkt.

  • 9. Weijer 2, Milheeze

Dit planonderdeel geeft de provincie vanuit de provinciaal ruimtelijke belangen geen aanleiding tot het maken van opmerkingen.

De opmerking vraagt geen reactie.

5.2.2 Waterschap Aa en Maas

Op 29 september 2021 is het advies van Waterschap Aa en Maas ontvangen. Het betreft de volgende opmerkingen en/of aandachtspunten.

  • 10. Berken/Fransenhof

Aangegeven wordt dat maximaal 1.000 m² (woningen en bijbehorende bouwwerken) wordt gebouwd. Hier wordt ook de waterberging op gebaseerd (60 m3). In het gemeentelijke beleid en in de regels wordt voor bepalen van de waterbergingscapaciteit uitgegaan van het totaal verhard oppervlak. Naast bebouwing wordt ook overig verhard oppervlak zoals inritten en terrassen meegeteld. Het waterschap ziet in dit plan niet terug of er toename is van de overige verharding. Mogelijk is hierdoor de benodigde waterbergingscapaciteit te gering ingeschat.

Reactie:

De ontwikkeling ziet enerzijds op de sloop van voormalige agrarische bedrijfsbebouwing en de sloop van de boerderij met bijbehorende bouwwerken en anderzijds op de oprichting van nieuwe woningen. In totaal wordt circa 1.655 m² gesloopt en een oppervlakte van maximaal 1.000 m² (gezamenlijke oppervlakte woningen en bijbehorende bouwwerken (150 m² per bouwwerk, inclusief mogelijkheden vergunningvrij bouwen)) gebouwd. De erfverharding is vooralsnog niet meegenomen in de berekening van de toename van het verhard oppervlak. Uitgangspunt voor de erfverharding is dat deze als halfverharding wordt uitgevoerd; hier kan het hemelwater ter plaatse infiltreren. Bij de definitieve inrichting van de percelen wordt duidelijk wat de exacte oppervlakte aan verharding per kavel zal zijn. Aangezien aan de voorwaardelijke verplichting voor hemelwaterberging dient te worden voldaan, is geborgd dat uiteindelijk een voldoende ruime hemelwaterberging wordt gerealiseerd. In de regels voor de planontwikkeling Berken/Fransenhof wordt een voorwaardelijke verplichting opgenomen die verplicht tot de realisatie en instandhouding van een hemelwaterbergingsvoorziening van ten minste 0,06 m³ per m² verharding. Hiermee is de realisatie van voldoende waterberging geborgd. Daarnaast wordt bij de aanvraag omgevingsvergunning voor de bouw van de woningen nogmaals het aspect hemelwaterafvoer getoetst en wordt nader gekeken naar de hoeveelheid verhard oppervlak. Mocht dit dan meer zijn dan waarvan in het bestemmingsplan vanuit is gegaan, dan dient er een aanvullende bergingsvoorziening te worden gerealiseerd, zodat voldaan wordt aan bovenstaande voorwaardelijke verplichting in het bestemmingsplan.

De voorwaardelijke verplichting die ziet op een voldoende hemelwaterinfiltratie wordt als volgt:

Voorwaardelijke verplichting hemelwaterinfiltratie

a. Het gebruiken en het (doen) laten gebruiken van de woonbestemmingen ter plaatse van de aanduidingen 'specifieke vorm van wonen – Berken 9' en 'specifieke vorm van wonen - ruimte voor ruimte woningen Berken/Fransenhof' conform de bestemmingsomschrijving is alleen toegestaan als ter plaatse van de bestemming 'Wonen' en de bestemming 'Natuur'. een waterbergingsvoorziening van ten minste 0,06 m³ per vierkante meter verharding op het bouwperceel is gerealiseerd en vervolgens in stand wordt gehouden.

b. Ter plaatse van de aanduiding 'specifieke vorm van wonen – ruimte voor ruimte woningen Berken/Fransenhof' dient voor de ruimte-voor-ruimtewoningen aan de Fransenhof, ten behoeve van de afstroming van het hemelwater richting de hemelwaterbergingsvoorzieningen, de erfverharding op minimaal 30 centimeter boven de kruin van de openbare weg te worden gerealiseerd.

  • 11. Esdonk 45

Het zuidwestelijk gedeelte van het plangebied is in de Keur aangemerkt als wijstgebied. De aanduiding 'vrijwaringszone – wijstgebied' ontbreekt op de verbeelding. Gevraagd wordt om deze aanduiding toe te voegen op de verbeelding.

Reactie:

Het betreffende gebied wordt op de verbeelding onder de dubbelbestemming 'Waarde - Aardkundig waardevol' gebracht, conform de regeling in het geldende bestemmingsplan Gemert-Bakel buitengebied 2017.

  • 12. EVZ Esperloop Geneneind-Neerstraat

Op de verbeelding bij EVZ Esperloop ontbreekt aan de oostkant de aanduiding 'vrijwaringszone – waterloop'.

Als bijlage is het ontwerp-projectplan toegevoegd in plaats van het vastgestelde projectplan.

Reactie:

De betreffende aanduiding wordt aan de verbeelding toegevoegd

De vastgestelde versie van het projectplan wordt als bijlage toegevoegd.

  • 13. Kattevlaas 4

Aangegeven wordt dat 'er een nieuw gebouw voor dagbesteding wordt mogelijk gemaakt van circa 476 m². Het water dat hierop valt zal op het omliggende land (eigen grond) infiltreren. Mocht dit toch tot problemen leiden, dan zal de initiatiefnemer een infiltratiegreppel realiseren om dit water te bergen'. Geadviseerd wordt om dit iets verder uit te laten werken om te bezien of dit aansluit bij het gemeentelijk beleid waarin wordt gevraagd om een waterbergingsvoorziening gebaseerd op 60 mm per m2.

Reactie:

De gevraagde verdere uitwerking is in de toelichting van het initiatief opgenomen.

  • 14. Wijziging van 2000 m² naar 500 m²

Het beleid inzake toename verhard oppervlak is sinds 26 maart 2021 gewijzigd. De wijziging betreft een verlaging van de grens van 2.000 m2 naar 500 m2. Dit betekent dat er ook bij een kleinere verhardingstoename een compensatieplicht geldt. In de bijlagen bij de toelichting wordt nog verwezen naar het verouderde beleid. Dit is het geval bij Heidveld 4, Kattevlaas 4, Kuundertseheide 1 en EVZ-Esperloop. Hoewel dit inhoudelijk geen consequenties heeft ,wordt gevraagd om dit aan te passen in 500m2 zodat het weer in lijn is met het huidige beleid.

Reactie:

De gevraagde wijzigingen worden in de toelichting en bijbehorende bijlagen verwerkt.

5.2.3 Ambtshalve aanpassingen
  • 1. Paraplubestemmingsplannen

In de regels is een aantal bepalingen aangepast aan de in de tussentijd vastgestelde paraplubestemmingsplannen 'Tijdelijke huisvesting werknemers, Boerderijsplitsing en Uitbreiding oppervlak bijbehorend bouwwerk' en 'Buitengebied reparatie uitbreiding dierenverblijf Gemert-Bakel'.

  • 2. Redactionele aanpassingen

Op een aantal plaatsen is de tekst redactioneel verbeterd en zijn actuele versies van ruimtelijke onderbouwingen en onderzoeken (veelal ter vervanging van concept versies) ingevoegd.

5.3 Zienswijzen

5.4 Ambtshalve aanpassingen